 Lingafelter NMNH 4.5 km S Barahona, Barahona Province, Dominican Republic.jpg)
Specimen Type: holotype Sex: m Institution: NMNH United States National Museum, Washington, DC, USA Photographer: Steve Lingafelter Collection Location: 4.5 km S Barahona, Barahona Province, Dominican Republic 95858
|
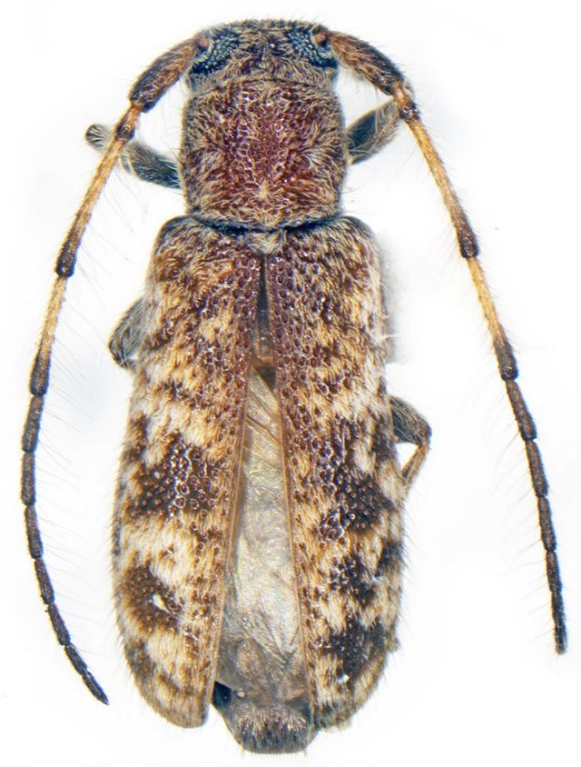
 Lingafelter NMNH 4.5 km S Barahona, Barahona Province, Dominican Republic.jpg)
Specimen Type: paratype Institution: NMNH United States National Museum, Washington, DC, USA Photographer: Steve Lingafelter Collection Location: 4.5 km S Barahona, Barahona Province, Dominican Republic 95859
|