 Heff Nasc SS TAMU Fortuna Cabins, Ngabe-Bugle, Panama.jpg)
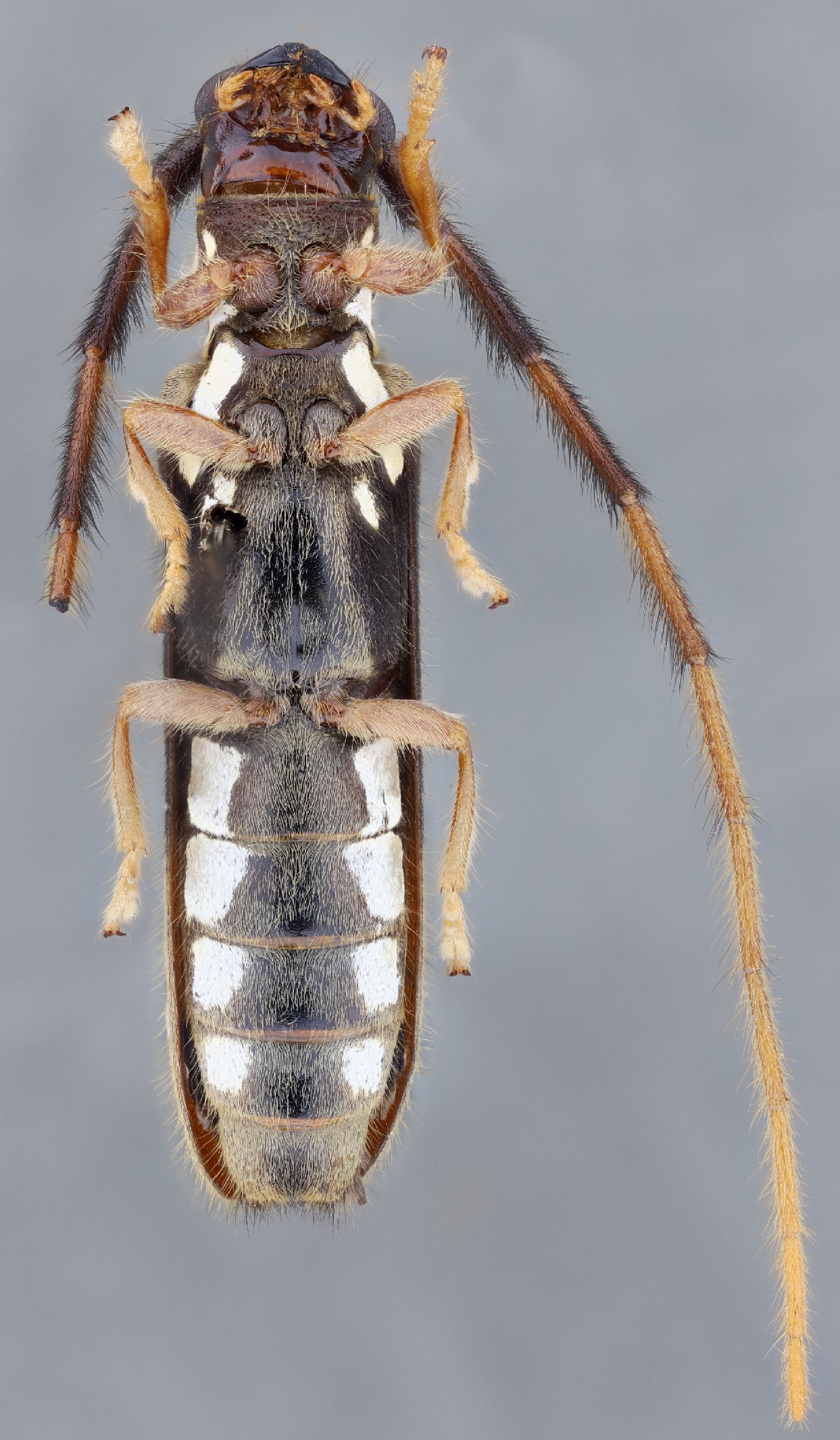
Specimen Type: holotype Sex: f Institution: TAMU Texas A & M University, College Station, Texas, USA Photographer: Antonio Santos-Silva Collection Location: Fortuna Cabins, Ngäbe-Buglé, Panama 95313
|
 Heff Nasc SS TAMU Fortuna Cabins, Ngabe-Bugle, Panama.jpg)
Specimen Type: holotype Sex: f Institution: TAMU Texas A & M University, College Station, Texas, USA Photographer: Antonio Santos-Silva Collection Location: Fortuna Cabins, Ngäbe-Buglé, Panama 95314
|
 Heff Nasc SS TAMU Fortuna Cabins, Ngabe-Bugle, Panama.jpg)
Specimen Type: holotype Sex: f Institution: TAMU Texas A & M University, College Station, Texas, USA Photographer: Antonio Santos-Silva Collection Location: Fortuna Cabins, Ngäbe-Buglé, Panama 95315
|
 Heff Nasc SS TAMU Fortuna Cabins, Ngabe-Bugle, Panama.jpg)
Specimen Type: holotype Sex: f Institution: TAMU Texas A & M University, College Station, Texas, USA Photographer: Antonio Santos-Silva Collection Location: Fortuna Cabins, Ngäbe-Buglé, Panama 95316
|
|