_arabica (h-m) Rapuzzi Dhafer KSMA Wadhi Gala, Baha Profvince, Saudi Arabica.jpg)
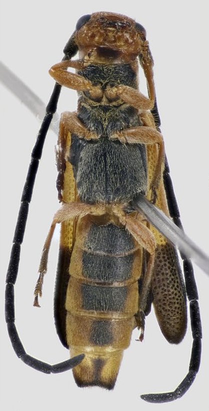
Specimen Type: holotype Sex: m Institution: KSMA Museum of Arthropods, King Saud University, Riyadh, Saudi Arabia Photographer: Pierpaolo Rapuzzi Collection Location: Wadhi Gala, Baha Province, Saudi Arabica 95260
|
_arabica (h-m-lat) Rapuzzi Dhafer KSMA Wadhi Gala, Baha Profvince, Saudi Arabica.jpg)
Specimen Type: holotype Sex: m Institution: KSMA Museum of Arthropods, King Saud University, Riyadh, Saudi Arabia Photographer: Pierpaolo Rapuzzi Collection Location: Wadhi Gala, Baha Province, Saudi Arabica 95261
|
_arabica (h-m-vent) Rapuzzi Dhafer KSMA Wadhi Gala, Baha Profvince, Saudi Arabica.jpg)
Specimen Type: holotype Sex: m Institution: KSMA Museum of Arthropods, King Saud University, Riyadh, Saudi Arabia Photographer: Pierpaolo Rapuzzi Collection Location: Wadhi Gala, Baha Province, Saudi Arabica 95262
|
|