 Rapuzzi Dhafer Raedah Reserve, Abha Province, Saudi Arabia.jpg)
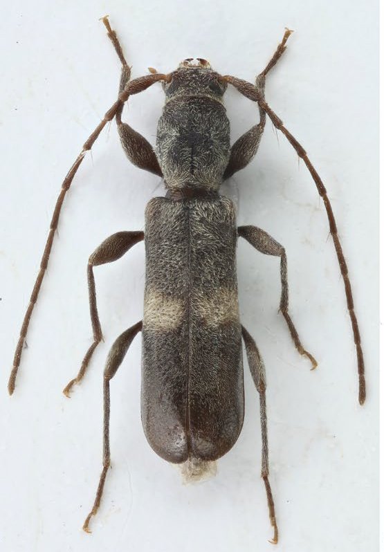
Specimen Type: paratype Sex: m Institution: Rapuzzi Collection Photographer: Pierpaolo Rapuzzi Collection Location: Raedah Reserve, Abha Province, Saudi Arabia 95236
|
 Rapuzzi Dhafer Raedah Reserve, Abha Province, Saudi Arabia.jpg)
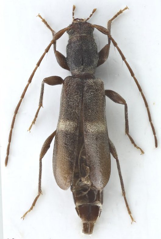
Specimen Type: paratype Sex: f Institution: Rapuzzi Collection Photographer: Pierpaolo Rapuzzi Collection Location: Raedah Reserve, Abha Province, Saudi Arabia 95237
|