 Heff SS TAMU Camino a San Lorenzo, Zacapa, Guatemala SS.jpg)
Specimen Type: holotype Sex: m Institution: TAMU Texas A & M University, College Station, Texas, USA Photographer: Antonio Santos-Silva Collection Location: Camino a San Lorenzo, Zacapa, Guatemala 89861
|
 Heff SS TAMU Camino a San Lorenzo, Zacapa, Guatemala SS.jpg)
Specimen Type: holotype Sex: m Institution: TAMU Texas A & M University, College Station, Texas, USA Photographer: Antonio Santos-Silva Collection Location: Camino a San Lorenzo, Zacapa, Guatemala 89862
|
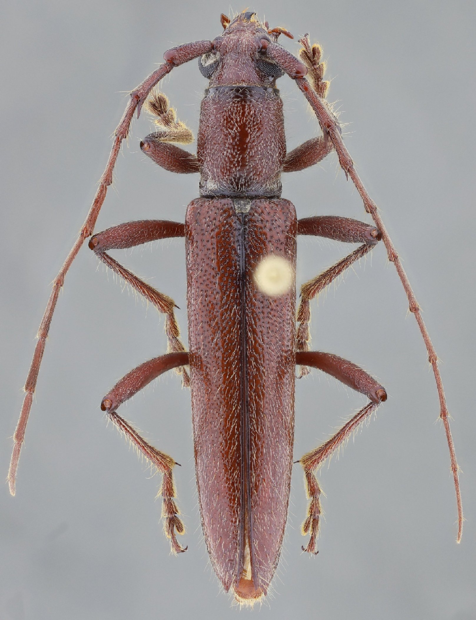
 Heff SS TAMU Camino a San Lorenzo, Zacapa, Guatemala SS.jpg)
Specimen Type: holotype Sex: m Institution: TAMU Texas A & M University, College Station, Texas, USA Photographer: Antonio Santos-Silva Collection Location: Camino a San Lorenzo, Zacapa, Guatemala 89863
|
 Heff SS TAMU Camino a San Lorenzo, Zacapa, Guatemala SS.jpg)
Specimen Type: holotype Sex: m Institution: TAMU Texas A & M University, College Station, Texas, USA Photographer: Antonio Santos-Silva Collection Location: Camino a San Lorenzo, Zacapa, Guatemala 89864
|
|