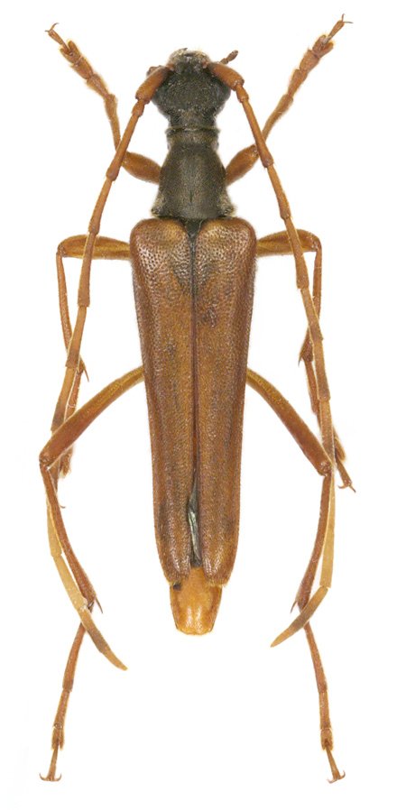
 Tichy Viktora IZAS vic Muyu, Shennongjia, Hubei Province, China.jpg)
Specimen Type: holotype Sex: m Institution: IZAS Zoological Institute, Chinese Academy of Sciences, Beijing, China Photographer: Tomas Tichy Collection Location: vic Muyu, Shennongjia, Hubei Province, China 89659
|
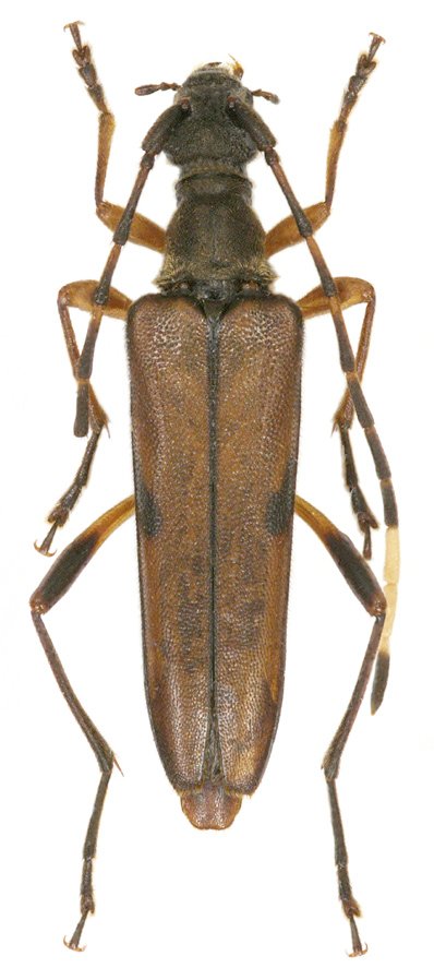
 Tichy coll Viktora vic Muyu, Shennongjia, Hubei Province, China.jpg)
Specimen Type: paratype Sex: f Institution: Tichy Collection Photographer: Tomas Tichy Collection Location: vic Muyu, Shennongjia, Hubei Province, China 89660
|