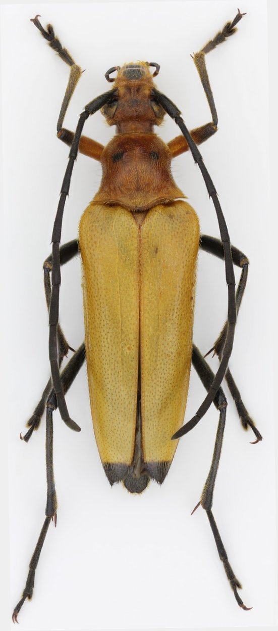
 Viktora coll Galabo Village,Gongshan County, Yunnan, China Richard Sehnal pic.jpg)
Specimen Type: holotype Sex: m Institution: Viktora Collection Photographer: Richard Sehnal Collection Location: Galabo Village, Gongshan County, Yunnan, China 89561
|
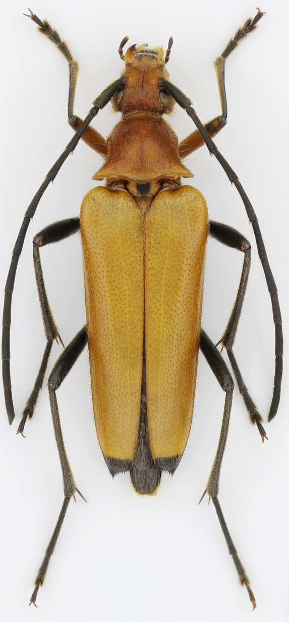
 Viktora coll Galabo Village,Gongshan County, Yunnan, China Richard Sehnal pic.jpg)
Specimen Type: paratype Sex: f Institution: Viktora Collection Photographer: Richard Sehnal Collection Location: Galabo Village, Gongshan County, Yunnan, China 89562
|
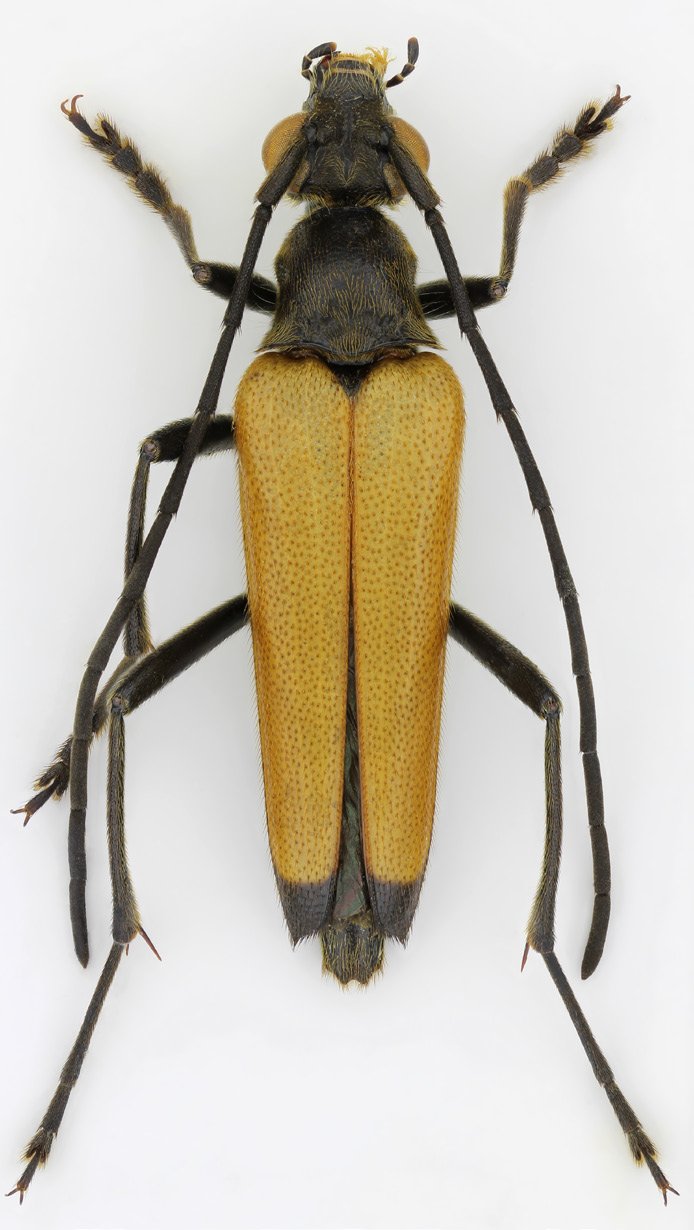
 Viktora Hergovits coll coll Galabo Mt Biluo, Deqin, Yunnan, China Richard Sehnal pic.jpg)
Specimen Type: paratype Sex: f Institution: Hergovits Collection Photographer: Richard Sehnal Collection Location: Mt Biluo, Deqin, Yunnan, China 89563
|
|