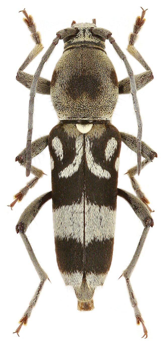
 Viktora coll Ha Giang, Vietnam.jpg)
Specimen Type: holotype Sex: m Institution: Viktora Collection Photographer: Petr Viktora Collection Location: Ha Giang, Vietnam 89553
|
 Viktora coll Dong Tam Village, Cuc, Ninh Binh Province, Vietnam.jpg)
Specimen Type: paratype Sex: f Institution: Viktora Collection Photographer: Petr Viktora Collection Location: Dong Tam Village, Cuc, Ninh Binh Province, Vietnam 89554
|