New Search Family, Subfamily and Tribe List

SubFamily Cerambycinae

Tribe Callidiopini
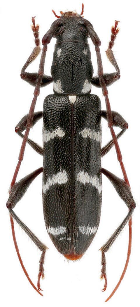
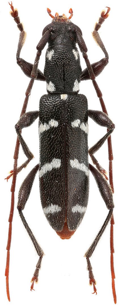
Ceresium svetlanae Kasatkin 2023

Specimen Type: holotype
Sex: m
Institution: ZIN Russian Academy of Sciences, Zoological Institute, St. Petersburg, Russia
Photographer: Denis Kasatkin
Collection Location: Nongbunnak, Nong Bun Mak, Nakhon Ratchasima Province, Thailand
81697


Specimen Type: holotype
Sex: m
Institution: ZIN Russian Academy of Sciences, Zoological Institute, St. Petersburg, Russia
Photographer: Denis Kasatkin
Collection Location: Nongbunnak, Nong Bun Mak, Nakhon Ratchasima Province, Thailand
81698


Specimen Type: holotype
Sex: m
Institution: ZIN Russian Academy of Sciences, Zoological Institute, St. Petersburg, Russia
Photographer: Denis Kasatkin
Collection Location: Nongbunnak, Nong Bun Mak, Nakhon Ratchasima Province, Thailand
81699


Specimen Type: paratype
Sex: f
Institution: ZIN Russian Academy of Sciences, Zoological Institute, St. Petersburg, Russia
Photographer: Denis Kasatkin
Collection Location: Nongbunnak, Nong Bun Mak, Nakhon Ratchasima Province, Thailand
81700

130425