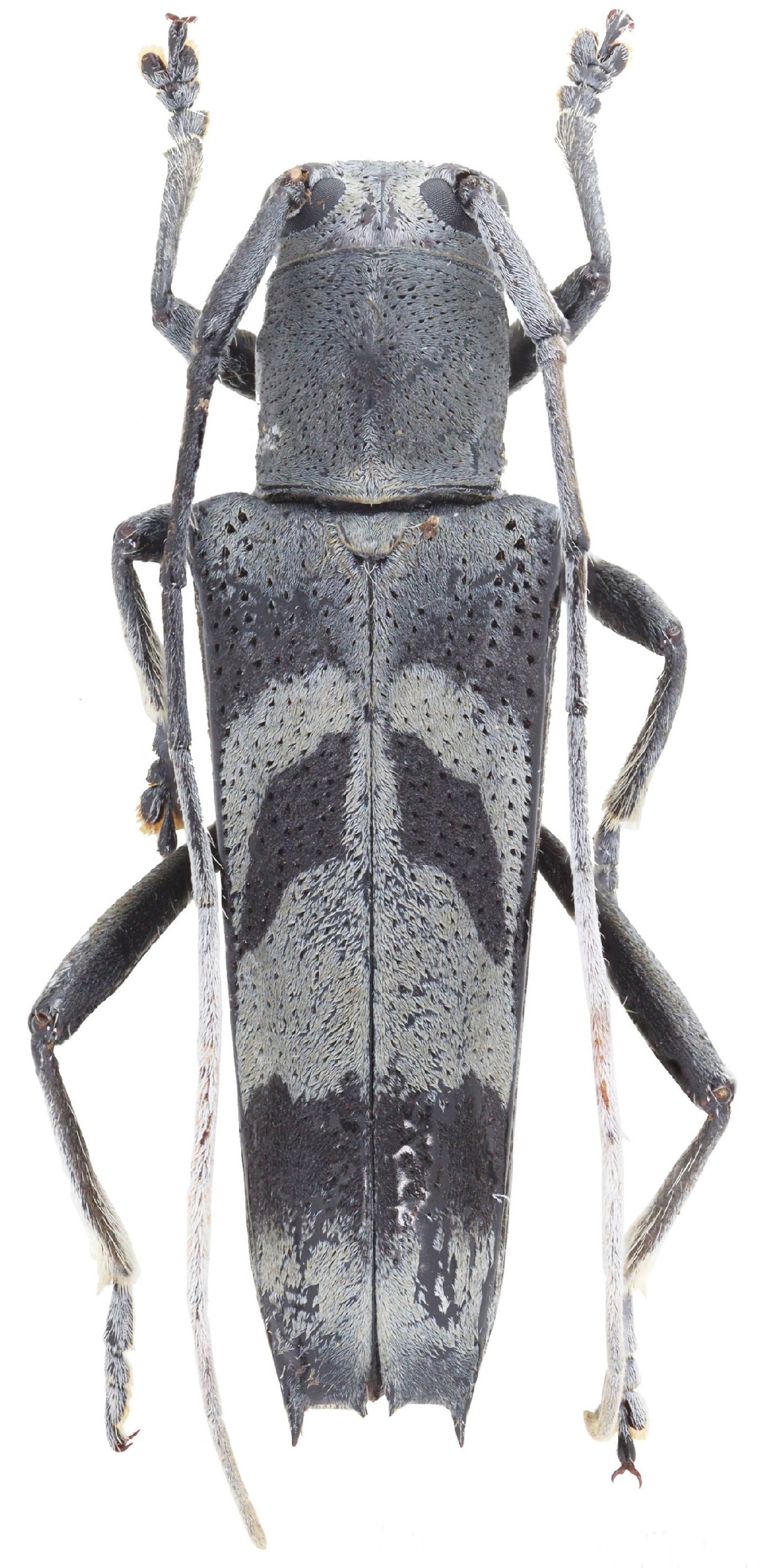
 Medina Cabras Van Dam PNM Wao, Lanao del Sur, Mimdanao, Philippines.jpg)
Specimen Type: holotype Sex: f Institution: PNM National Museum of Natural History, Manila, Philippines Photographer: Milton Medina Collection Location: Wao, Lanao del Sur, Mindanao, Philippines 81546
|
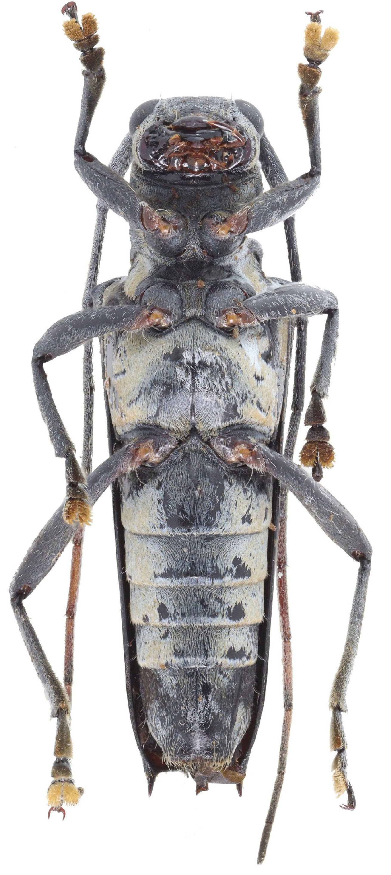
 Medina Cabras Van Dam PNM Wao, Lanao del Sur, Mimdanao, Philippines.jpg)
Specimen Type: holotype Sex: f Institution: PNM National Museum of Natural History, Manila, Philippines Photographer: Milton Medina Collection Location: Wao, Lanao del Sur, Mindanao, Philippines 81547
|
 Medina Cabras Van Dam PNM Wao, Lanao del Sur, Mimdanao, Philippines.jpg)
Specimen Type: holotype Sex: f Institution: PNM National Museum of Natural History, Manila, Philippines Photographer: Milton Medina Collection Location: Wao, Lanao del Sur, Mindanao, Philippines 81548
|
 Medina Cabras Van Dam PNM Wao, Lanao del Sur, Mimdanao, Philippines.jpg)
Specimen Type: holotype Sex: f Institution: PNM National Museum of Natural History, Manila, Philippines Photographer: Milton Medina Collection Location: Wao, Lanao del Sur, Mindanao, Philippines 81549
|
|