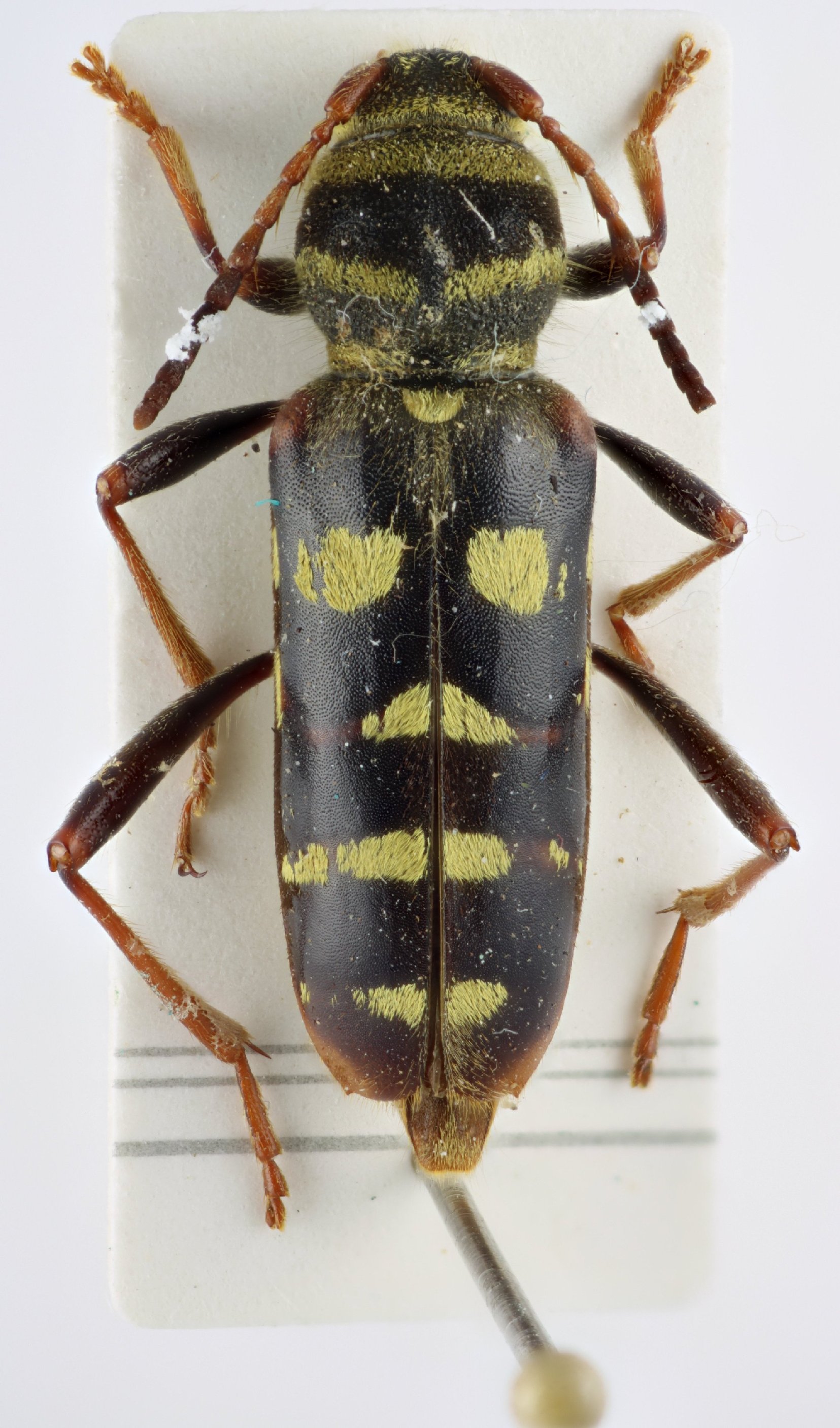
 Gahan BMNH Tibet now Xylotrechus KM.jpg)
Clytus monticola Gahan Specimen Type: syntype? Institution: BMNH British Museum Natural History, London, UK Photographer: Keita Matsumoto Collection Location: Tibet 81268
|
 Gahan BMNH Tibet now Xylotrechus KM.jpg)
Clytus monticola Gahan Specimen Type: syntype? Institution: BMNH British Museum Natural History, London, UK Photographer: Keita Matsumoto Collection Location: Tibet 81269
|
 Gahan BMNH Tibet now Xylotrechus KM.jpg)
Clytus monticola Gahan Specimen Type: syntype? Institution: BMNH British Museum Natural History, London, UK Photographer: Keita Matsumoto Collection Location: Tibet 81270
|
 Gahan BMNH Tibet now Xylotrechus KM.jpg)
Clytus monticola Gahan Specimen Type: syntype? Institution: BMNH British Museum Natural History, London, UK Photographer: Keita Matsumoto Collection Location: Tibet 81271
|
 Gahan BMNH Tibet now Xylotrechus KM.jpg)
Clytus monticola Gahan Specimen Type: syntype? Institution: BMNH British Museum Natural History, London, UK Photographer: Keita Matsumoto Collection Location: Tibet 81272
|

Clytus monticola Gahan Institution: BMNH British Museum Natural History, London, UK Photographer: Keita Matsumoto Collection Location: Murree Hills, Punjab, India 81273
|

Clytus monticola Gahan Institution: BMNH British Museum Natural History, London, UK Photographer: Keita Matsumoto Collection Location: N India 81274
|

Clytus monticola Gahan Photographer: Xavier Gouverneur, Cerambycoidea Forum Collection Location: Himachal, Pradesh, N India 49063
|
|