New Search Family, Subfamily and Tribe List

SubFamily Lamiinae

Tribe Desmiphorini
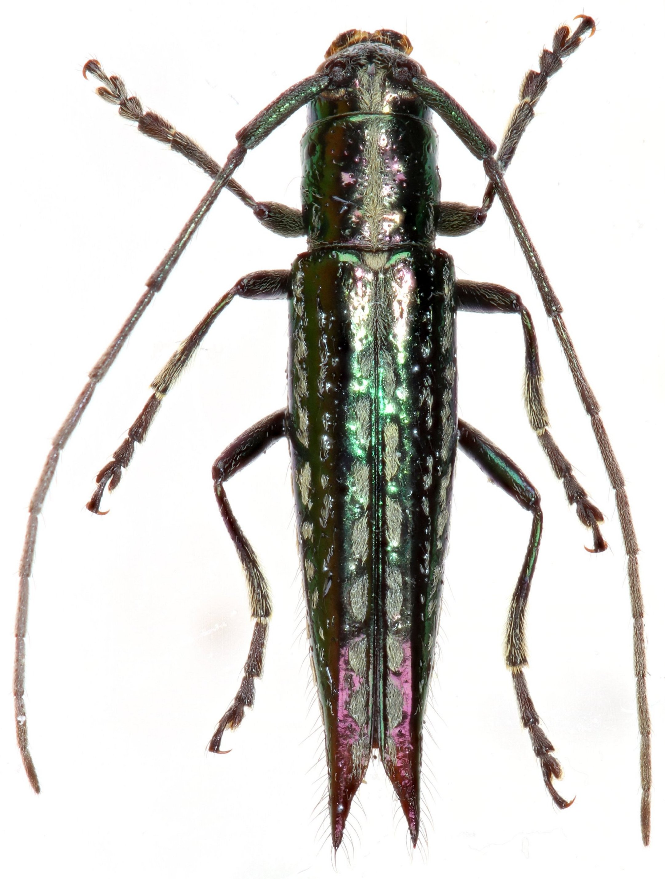
Malthonea constantini Audureau 2022

Specimen Type: holotype
Sex: f
Institution: Audureau Collection
Photographer: Alain Audureau
Collection Location: Paso Abra Malaga, 2 km SE San Luis, Cuzco, Peru
80814

130425