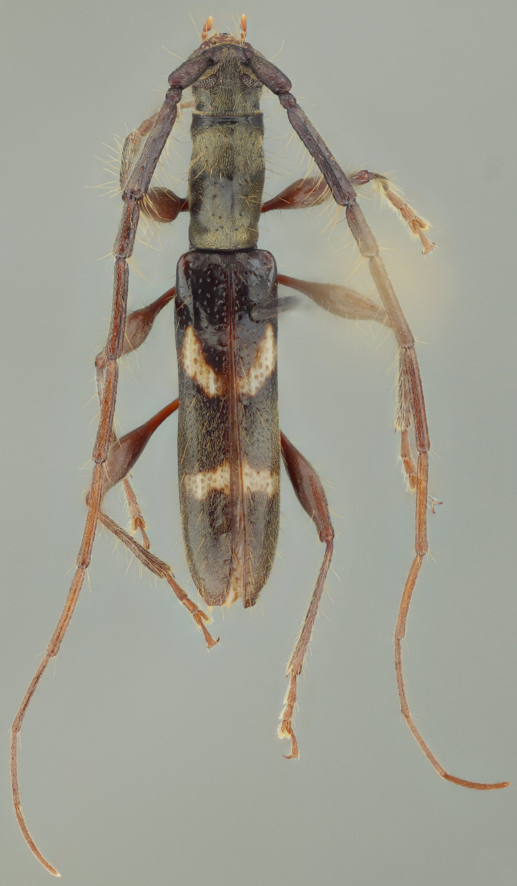
 Bez SS CASC 5-18km NE Compostela, Nayarit, Mexico SS.jpg)
Specimen Type: holotype Sex: m Institution: CAS California Academy of Sciences, San Francisco, CA, USA Photographer: Antonio Santos-Silva Collection Location: 5-18km NE Compostela, Nayarit, Mexico 80742
|
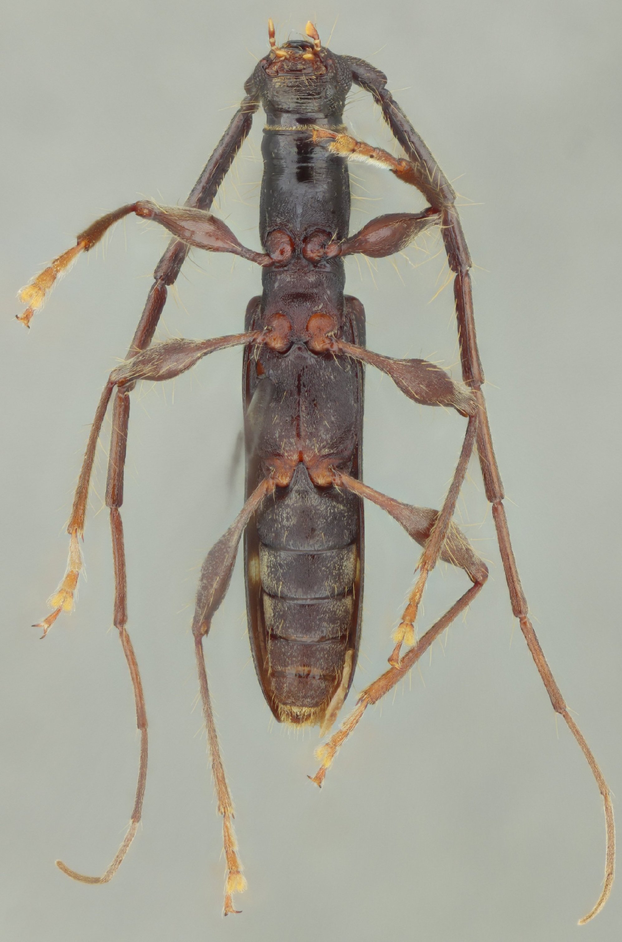
 Bez SS CASC 5-18km NE Compostela, Nayarit, Mexico SS.jpg)
Specimen Type: holotype Sex: m Institution: CAS California Academy of Sciences, San Francisco, CA, USA Photographer: Antonio Santos-Silva Collection Location: 5-18km NE Compostela, Nayarit, Mexico 80743
|
 Bez SS CASC 5-18km NE Compostela, Nayarit, Mexico SS.jpg)
Specimen Type: holotype Sex: m Institution: CAS California Academy of Sciences, San Francisco, CA, USA Photographer: Antonio Santos-Silva Collection Location: 5-18km NE Compostela, Nayarit, Mexico 80744
|
 Bez SS CASC 5-18km NE Compostela, Nayarit, Mexico SS.jpg)
Specimen Type: holotype Sex: m Institution: CAS California Academy of Sciences, San Francisco, CA, USA Photographer: Antonio Santos-Silva Collection Location: 5-18km NE Compostela, Nayarit, Mexico 80745
|
|