 Vlasak SS MZSP Papallacta, Napo Ecuador SS.jpg)
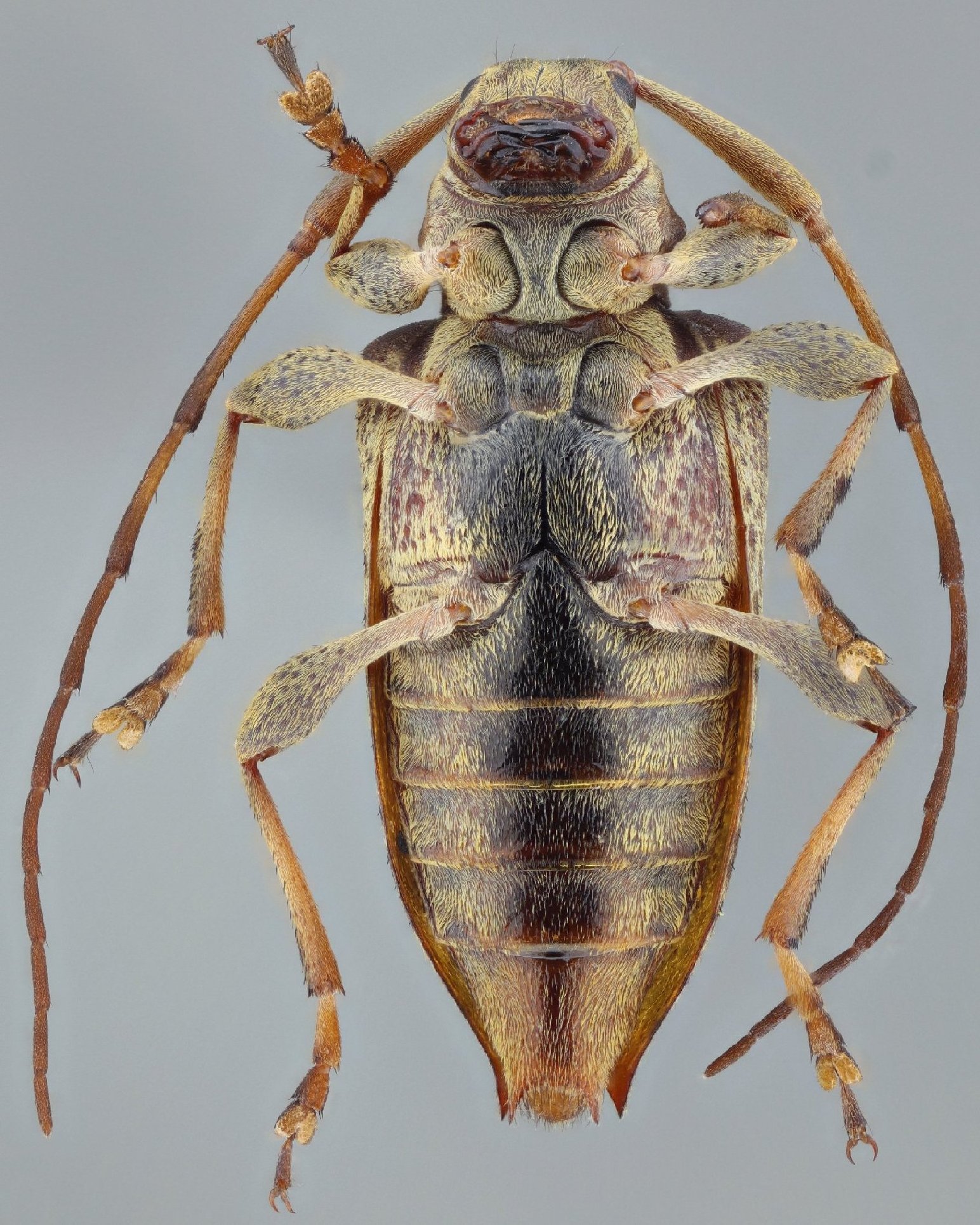
Specimen Type: holotype Sex: m Institution: MZSP Museu de Zoologia da Universidade de São Paulo, Brazil Photographer: Antonio Santos-Silva Collection Location: Papallacta, Napo Ecuador 80391
|
 Vlasak SS MZSP Papallacta, Napo Ecuador SS.jpg)
Specimen Type: holotype Sex: m Institution: MZSP Museu de Zoologia da Universidade de São Paulo, Brazil Photographer: Antonio Santos-Silva Collection Location: Papallacta, Napo Ecuador 80392
|
 Vlasak SS MZSP Papallacta, Napo Ecuador SS.jpg)
Specimen Type: holotype Sex: m Institution: MZSP Museu de Zoologia da Universidade de São Paulo, Brazil Photographer: Antonio Santos-Silva Collection Location: Papallacta, Napo Ecuador 80393
|
 Vlasak SS MZSP Papallacta, Napo Ecuador SS.jpg)
Specimen Type: holotype Sex: m Institution: MZSP Museu de Zoologia da Universidade de São Paulo, Brazil Photographer: Antonio Santos-Silva Collection Location: Papallacta, Napo Ecuador 80394
|
 Vlasak coll SS Papallacta, Napo Ecuador SS.jpg)
Specimen Type: paratype Sex: f Institution: Vlasak Collection Photographer: Antonio Santos-Silva Collection Location: Papallacta, Napo Ecuador 80395
|
 Vlasak coll SS Papallacta, Napo Ecuador SS.jpg)
Specimen Type: paratype Sex: f Institution: Vlasak Collection Photographer: Antonio Santos-Silva Collection Location: Papallacta, Napo Ecuador 80396
|