 Vlasak SS MZSP 25 km NW Cuenca, Azuay, Ecuador SS.jpg)
Specimen Type: holotype Sex: m Institution: MZSP Museu de Zoologia da Universidade de São Paulo, Brazil Photographer: Antonio Santos-Silva Collection Location: 25 km NW Cuenca, Azuay, Ecuador 80136
|
 Vlasak SS MZSP 25 km NW Cuenca, Azuay, Ecuador SS.jpg)
Specimen Type: holotype Sex: m Institution: MZSP Museu de Zoologia da Universidade de São Paulo, Brazil Photographer: Antonio Santos-Silva Collection Location: 25 km NW Cuenca, Azuay, Ecuador 80137
|
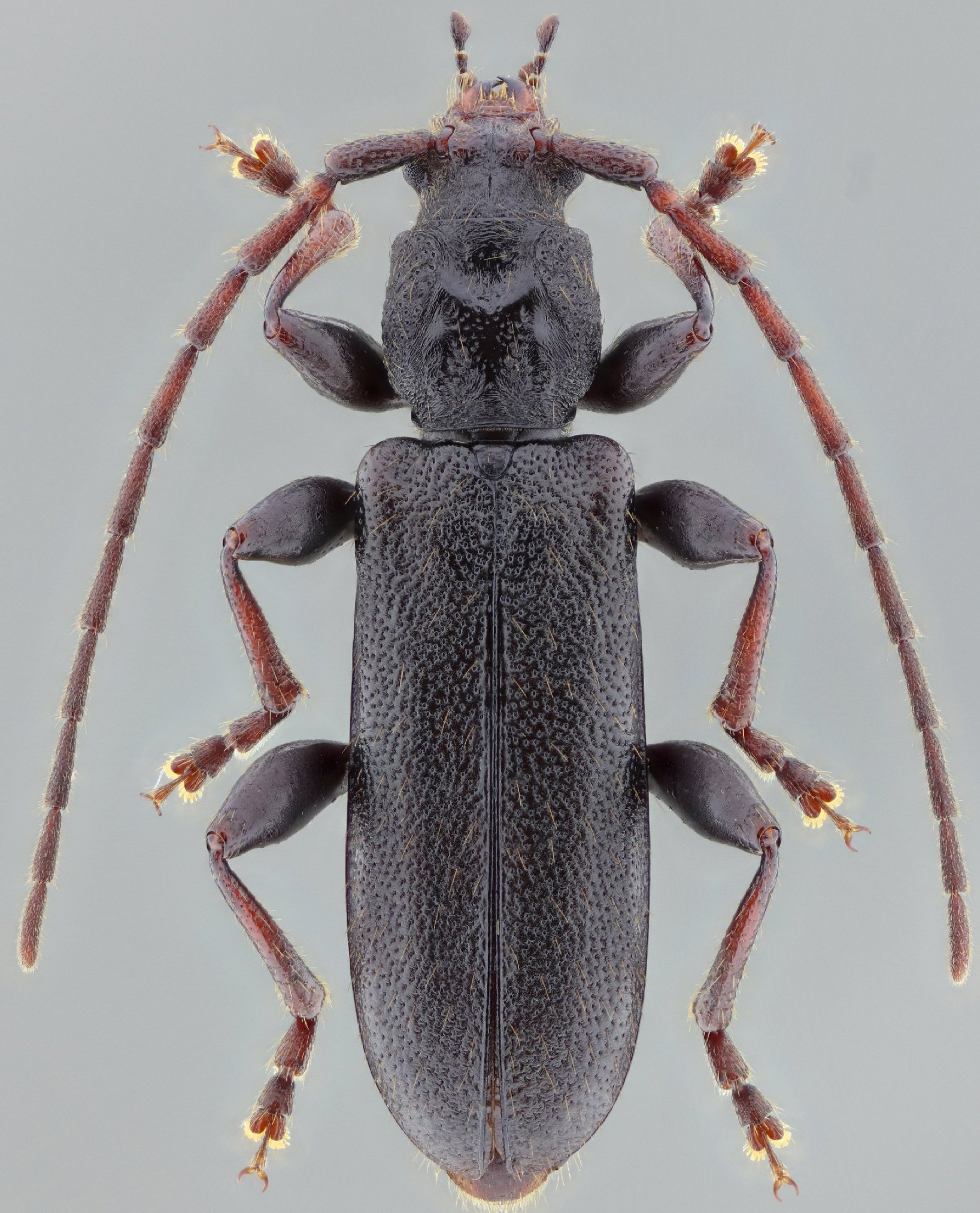
 Vlasak SS MZSP 25 km NW Cuenca, Azuay, Ecuador SS.jpg)
Specimen Type: holotype Sex: m Institution: MZSP Museu de Zoologia da Universidade de São Paulo, Brazil Photographer: Antonio Santos-Silva Collection Location: 25 km NW Cuenca, Azuay, Ecuador 80138
|
 Vlasak SS MZSP 25 km NW Cuenca, Azuay, Ecuador SS.jpg)
Specimen Type: holotype Sex: m Institution: MZSP Museu de Zoologia da Universidade de São Paulo, Brazil Photographer: Antonio Santos-Silva Collection Location: 25 km NW Cuenca, Azuay, Ecuador 80139
|
 Vlasak coll SS 25 km NW Cuenca, Azuay, Ecuador SS.jpg)
Specimen Type: paratype Sex: f Institution: Vlasak Collection Photographer: Antonio Santos-Silva Collection Location: 25 km NW Cuenca, Azuay, Ecuador 80140
|
 Vlasak coll SS 25 km NW Cuenca, Azuay, Ecuador SS.jpg)
Specimen Type: paratype Sex: f Institution: Vlasak Collection Photographer: Antonio Santos-Silva Collection Location: 25 km NW Cuenca, Azuay, Ecuador 80141
|
|