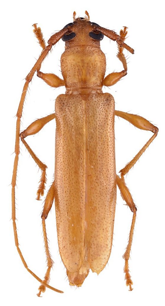
 Touroult Poirier replacement.jpg)
Specimen Type: holotype Sex: m Institution: MNHN Museum of Natural History Paris, France Photographer: Julien Touroult Collection Location: Riviere-Pilote, Morne Aca, Martinique, Lesser Antilles 79763
|
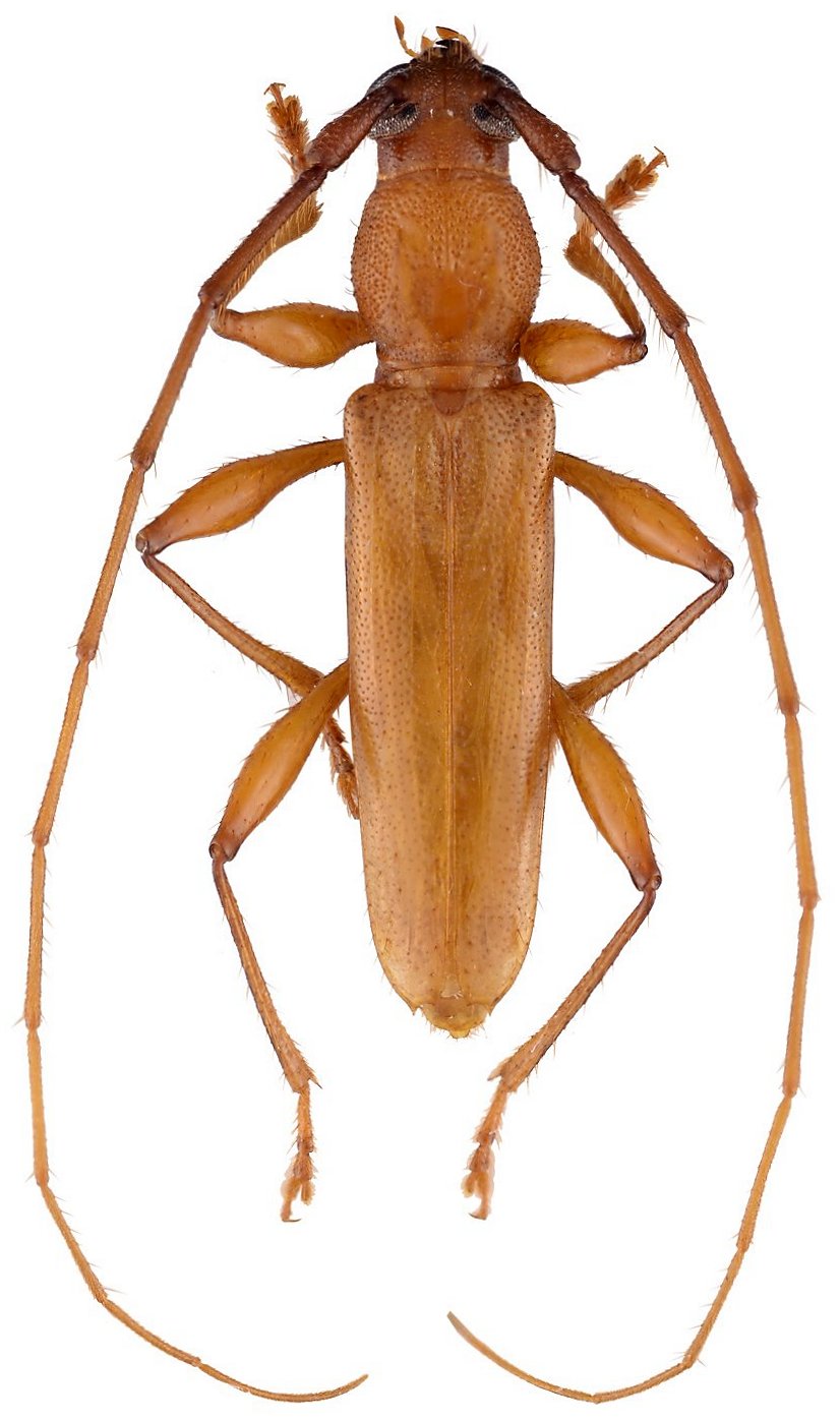
 Touroult Poirier replacement.jpg)
Specimen Type: paratype Sex: f Institution: Touroult Collection Photographer: Julien Touroult Collection Location: Riviere-Pilote, Morne Aca, Martinique, Lesser Antilles 79764
|
 Touroult Poirier.jpg)
Specimen Type: paratype Sex: m Institution: Touroult Collection Photographer: Julien Touroult Collection Location: Riviere-Pilote, Morne Aca, Martinique, Lesser Antilles 79765
|
|