New Search Family, Subfamily and Tribe List

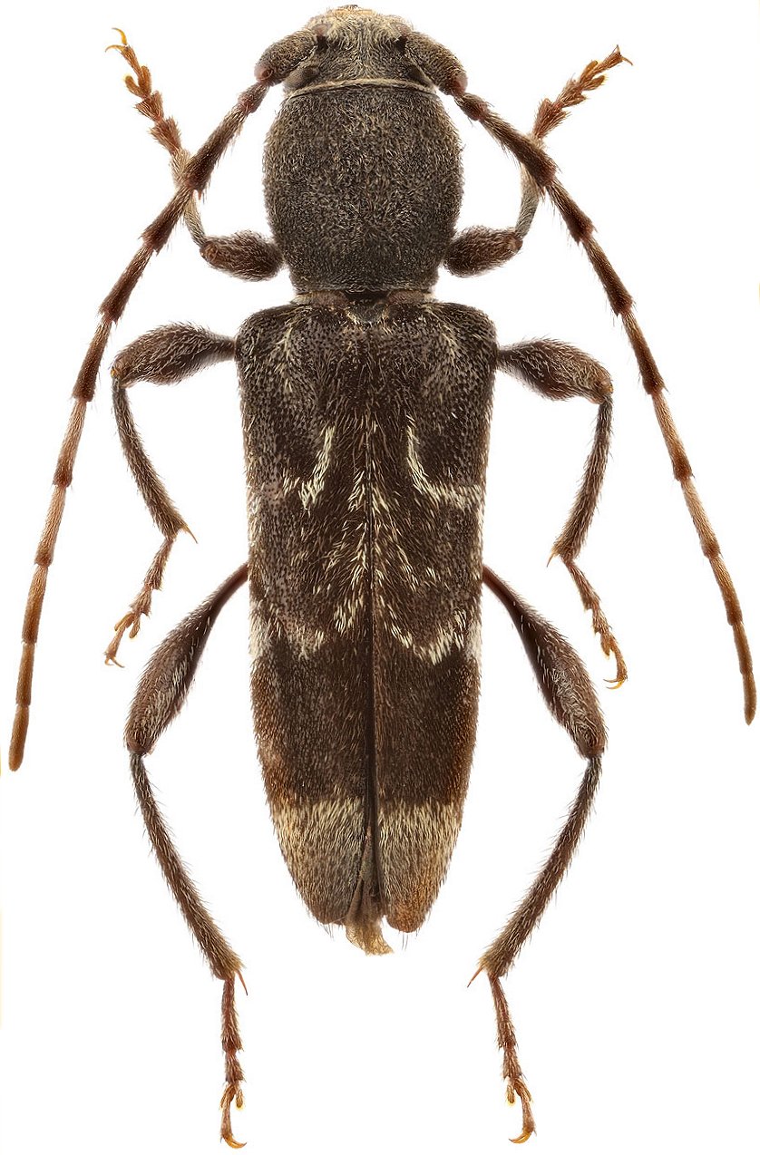
SubFamily Cerambycinae

Tribe Anaglyptini
Anaglyptus baeticus Verdugo, Lencina & Baena 2019

Specimen Type: paratype
Photographer: Lech Kruszelnicki
Collection Location: vic Rambla Seca, Sierra de Cazorla, Jaen Province, Andalusia, Spain
78841

130425