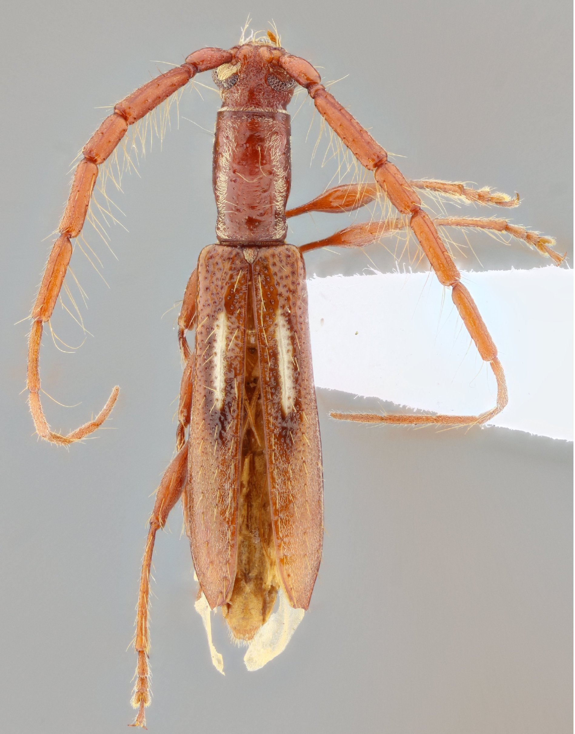
 Garcia SS FSCA Hotel Tirol, Itapua, Paraguay SS.jpg)
Specimen Type: holotype Sex: m Institution: FSCA Florida State Collection of Arthropods, Gainesville, FL, USA Photographer: Antonio Santos-Silva Collection Location: Hotel Tirol, Itapua, Paraguay 78803
|
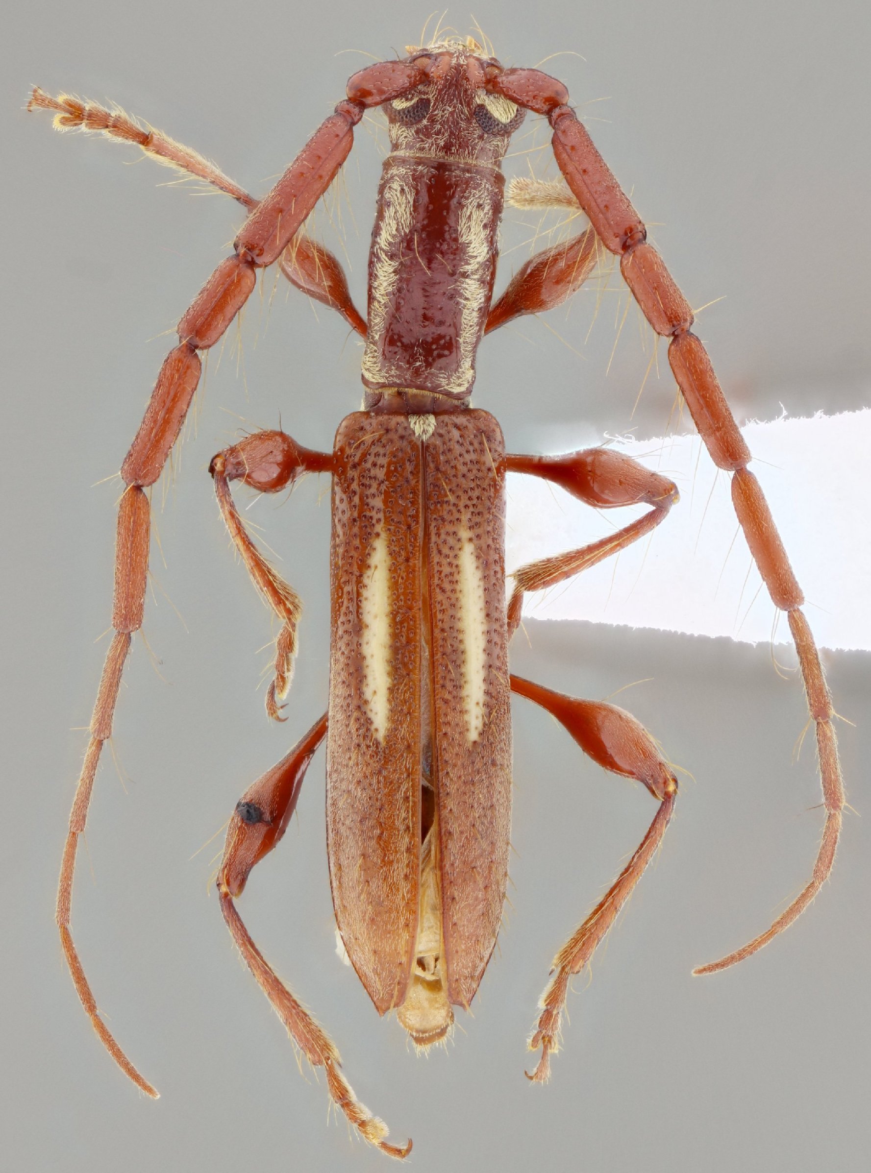
 Garcia SS FSCA Hotel Tirol, Itapua, Paraguay SS.jpg)
Specimen Type: holotype Sex: m Institution: FSCA Florida State Collection of Arthropods, Gainesville, FL, USA Photographer: Antonio Santos-Silva Collection Location: Hotel Tirol, Itapua, Paraguay 78804
|
 Garcia SS FSCA Hotel Tirol, Itapua, Paraguay SS.jpg)
Specimen Type: holotype Sex: m Institution: FSCA Florida State Collection of Arthropods, Gainesville, FL, USA Photographer: Antonio Santos-Silva Collection Location: Hotel Tirol, Itapua, Paraguay 78805
|
 Garcia SS FSCA Hotel Tirol, Itapua, Paraguay SS.jpg)
Specimen Type: holotype Sex: m Institution: FSCA Florida State Collection of Arthropods, Gainesville, FL, USA Photographer: Antonio Santos-Silva Collection Location: Hotel Tirol, Itapua, Paraguay 78806
|
 Garcia SS Morris coll Hotel Tirol, Itapua, Paraguay SS.jpg)
Specimen Type: paratype Sex: f Institution: Roy Morris Collection Photographer: Antonio Santos-Silva Collection Location: Hotel Tirol, Itapua, Paraguay 78807
|
|