New Search Family, Subfamily and Tribe List

SubFamily Cerambycinae

Tribe Tropidini Compsina
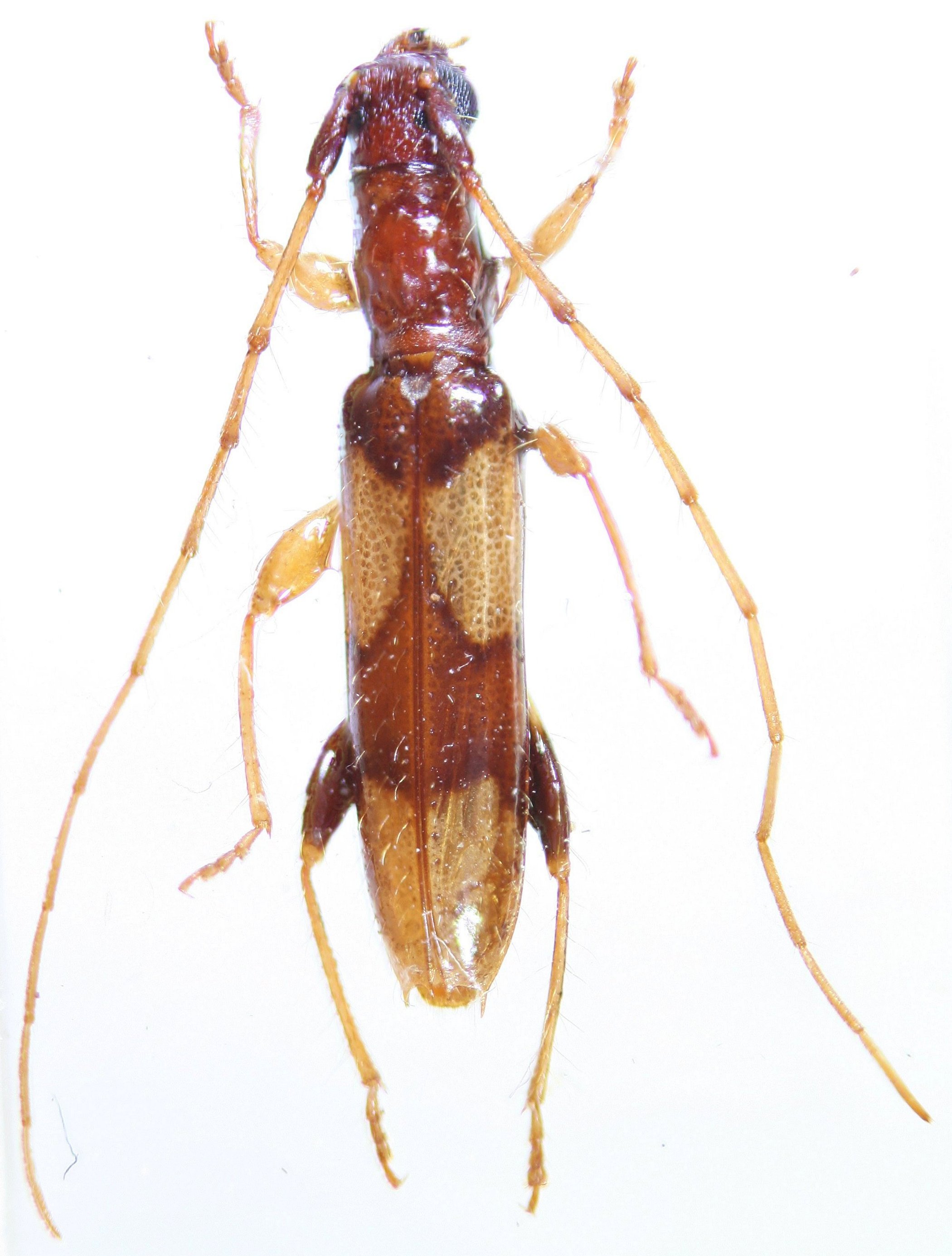
Compsa peruviensis Audureau 2022

Specimen Type: holotype
Sex: m
Institution: Audureau Collection
Photographer: Alain Audureau
Collection Location: Pozuzo, Oxapampa Province, Pasco, Peru
78691

130425