New Search
Family, Subfamily and Tribe List
SubFamily
Tribe
Disteniini
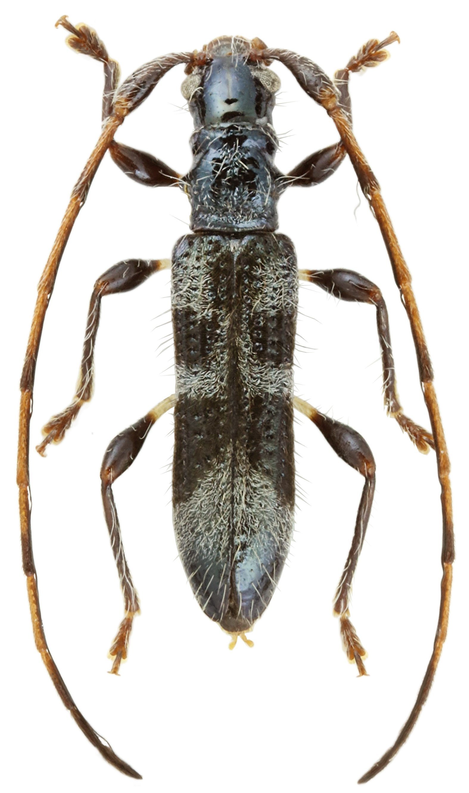
Nericonia continentalis
Hergovits 2021
Specimen Type:
holotype
Sex:
f
Institution:
RHCS Roman Hergovits Collection, Slovak Republic
Photographer:
Roman Hergovits
Collection Location:
vic Maersivg, Air Papan, Johor, Malaysia
78259
130425