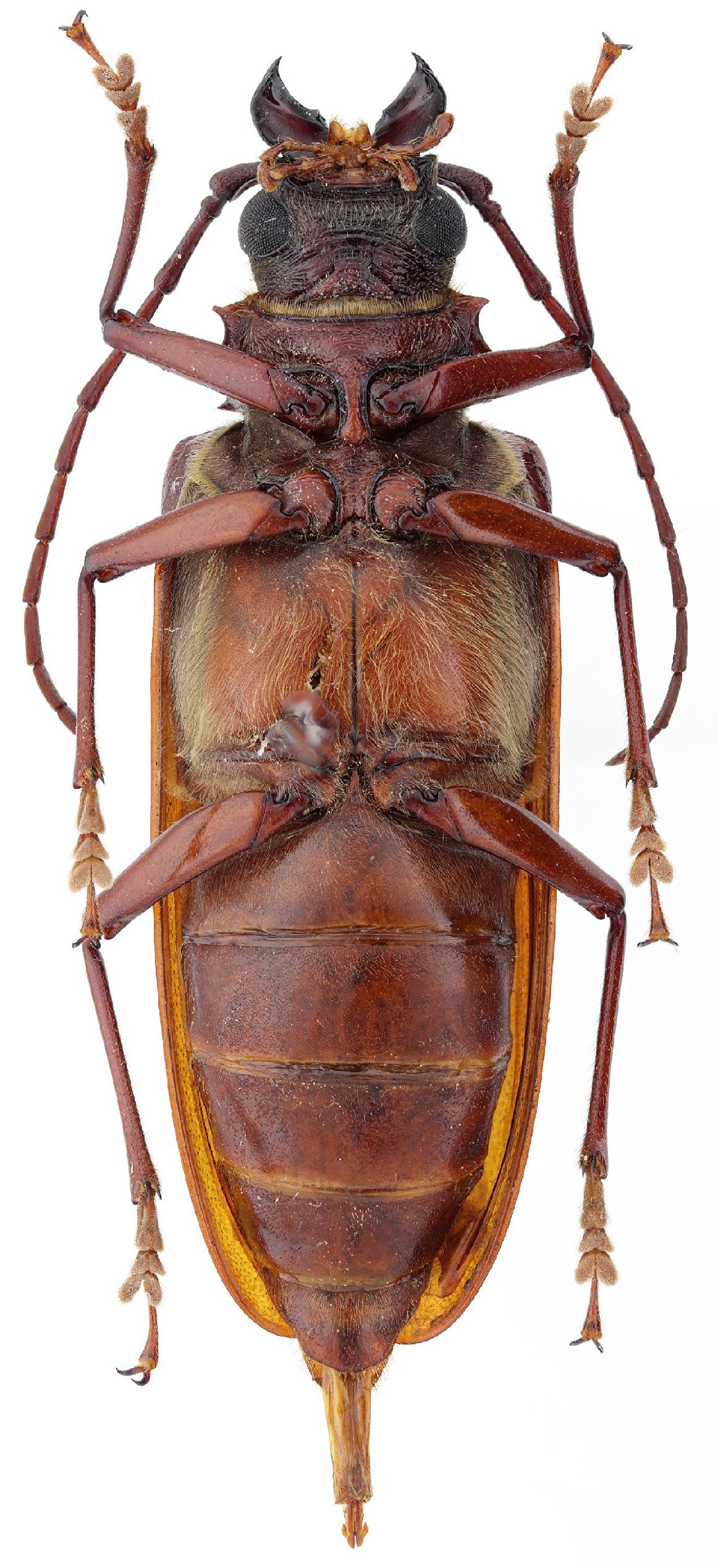
 Drumont, Komiya Weigel IRSNB Mt Lompobatang, C Sulawesi Locatelli2.jpg)
Specimen Type: holotype©IRSNB Sex: m Institution: IRSNB Royal Belgian Institute of Natural Sciences, Brussels, Belgium Photographer: Camille Locatelli Collection Location: Mt Lompobatang, C Sulawesi 78073
|
 Drumont, Komiya Weigel IRSNB Mt Lompobatang, C Sulawesi Locatelli2.jpg)
Specimen Type: holotype©IRSNB Sex: m Institution: IRSNB Royal Belgian Institute of Natural Sciences, Brussels, Belgium Photographer: Camille Locatelli Collection Location: Mt Lompobatang, C Sulawesi 78074
|
 Drumont, Komiya Weigel IRSNB Mt Lompobatang, C Sulawesi Locatelli2.jpg)
Specimen Type: holotype©IRSNB Sex: m Institution: IRSNB Royal Belgian Institute of Natural Sciences, Brussels, Belgium Photographer: Camille Locatelli Collection Location: Mt Lompobatang, C Sulawesi 78075
|
 Drumont, Komiya Weigel IRSNB Mt Lompobatang, C Sulawesi Locatelli2.jpg)
Specimen Type: holotype©IRSNB Sex: m Institution: IRSNB Royal Belgian Institute of Natural Sciences, Brussels, Belgium Photographer: Camille Locatelli Collection Location: Mt Lompobatang, C Sulawesi 78076
|
 Drumont, Komiya Weigel IRSNB Telkom-Station, Puncak Palopo, S Sulawesi Locatelli2.jpg)
Specimen Type: allotype©IRSNB Sex: f Institution: IRSNB Royal Belgian Institute of Natural Sciences, Brussels, Belgium Photographer: Camille Locatelli Collection Location: Telkom-Station, Puncak Palopo, S Sulawesi 78077
|
 Drumont, Komiya Weigel IRSNB Telkom-Station, Puncak Palopo, S Sulawesi Locatelli2.jpg)
Specimen Type: allotype©IRSNB Sex: f Institution: IRSNB Royal Belgian Institute of Natural Sciences, Brussels, Belgium Photographer: Camille Locatelli Collection Location: Telkom-Station, Puncak Palopo, S Sulawesi 78078
|
 Drumont, Komiya Weigel IRSNB Telkom-Station, Puncak Palopo, S Sulawesi Locatelli2.jpg)
Specimen Type: allotype©IRSNB Sex: f Institution: IRSNB Royal Belgian Institute of Natural Sciences, Brussels, Belgium Photographer: Camille Locatelli Collection Location: Telkom-Station, Puncak Palopo, S Sulawesi 78079
|
 Drumont, Komiya Weigel IRSNB Telkom-Station, Puncak Palopo, S Sulawesi Locatelli2.jpg)
Specimen Type: allotype©IRSNB Sex: f Institution: IRSNB Royal Belgian Institute of Natural Sciences, Brussels, Belgium Photographer: Camille Locatelli Collection Location: Telkom-Station, Puncak Palopo, S Sulawesi 78080
|
|