 SS FSCA 4-6km SSE Buena Vista Flora Fauna Hotel SC Bolivia.jpg)
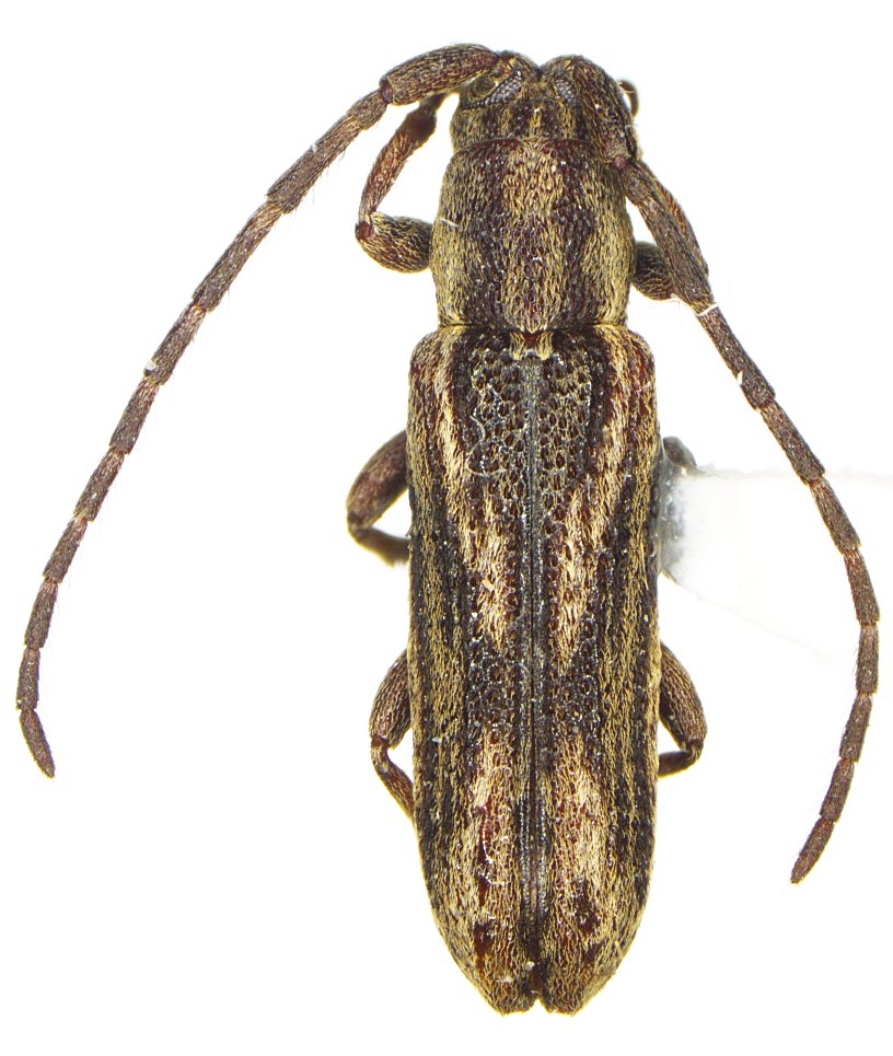
Specimen Type: holotype Sex: f Institution: FSCA Florida State Collection of Arthropods, Gainesville, FL, USA Photographer: Antonio Santos-Silva Collection Location: 4-6km SSE Buena Vista, Flora & Fauna Hotel, Santa Cruz, Bolivia 77977
|
 SS FSCA 4-6km SSE Buena Vista Flora Fauna Hotel SC Bolivia.jpg)
Specimen Type: holotype Sex: f Institution: FSCA Florida State Collection of Arthropods, Gainesville, FL, USA Photographer: Antonio Santos-Silva Collection Location: 4-6km SSE Buena Vista, Flora & Fauna Hotel, Santa Cruz, Bolivia 77978
|
 SS FSCA 4-6km SSE Buena Vista Flora Fauna Hotel SC Bolivia.jpg)
Specimen Type: holotype Sex: f Institution: FSCA Florida State Collection of Arthropods, Gainesville, FL, USA Photographer: Antonio Santos-Silva Collection Location: 4-6km SSE Buena Vista, Flora & Fauna Hotel, Santa Cruz, Bolivia 77979
|
 SS FSCA 4-6km SSE Buena Vista Flora Fauna Hotel SC Bolivia.jpg)
Specimen Type: holotype Sex: f Institution: FSCA Florida State Collection of Arthropods, Gainesville, FL, USA Photographer: Antonio Santos-Silva Collection Location: 4-6km SSE Buena Vista, Flora & Fauna Hotel, Santa Cruz, Bolivia 77980
|
 SS MZSP 4-6km SSE Buena Vista Flora Fauna Hotel SC Bolivia.jpg)
Specimen Type: paratype Sex: f Institution: MZSP Museu de Zoologia da Universidade de São Paulo, Brazil Photographer: Antonio Santos-Silva Collection Location: 4-6km SSE Buena Vista, Flora & Fauna Hotel, Santa Cruz, Bolivia 77981
|
 Flora and Fauna Hotel, 4-6 km SSE Buena Vista, SC Bolivia SWL pic.jpg)
Specimen Type: paratype Institution: Lingafelter Collection Photographer: Steve Lingafelter Collection Location: Flora and Fauna Hotel, 4-6 km SSE Buena Vista, Santa Caterina, Bolivia 81911
|
|