New Search Family, Subfamily and Tribe List

SubFamily Cerambycinae

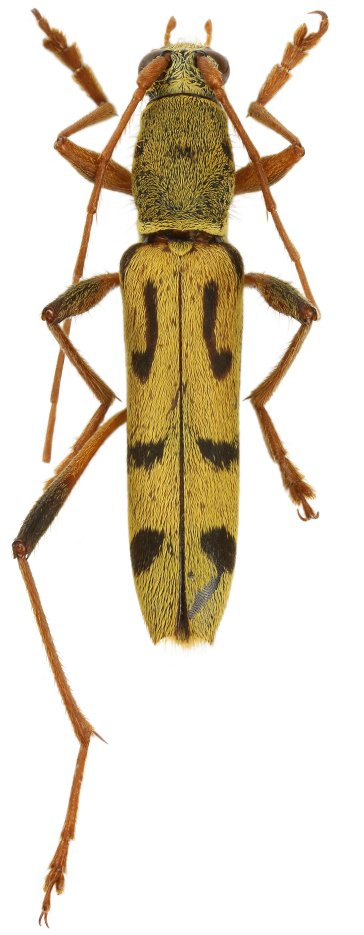
Tribe Clytini
Rhaphuma andrei Viktora 2021

Specimen Type: holotype
Sex: m
Institution: Viktora Collection
Photographer: Petr Viktora
Collection Location: Tam Dao, National Park, Vinh Phuc Province, Vietnam
77113

130425