New Search Family, Subfamily and Tribe List

SubFamily Cerambycinae

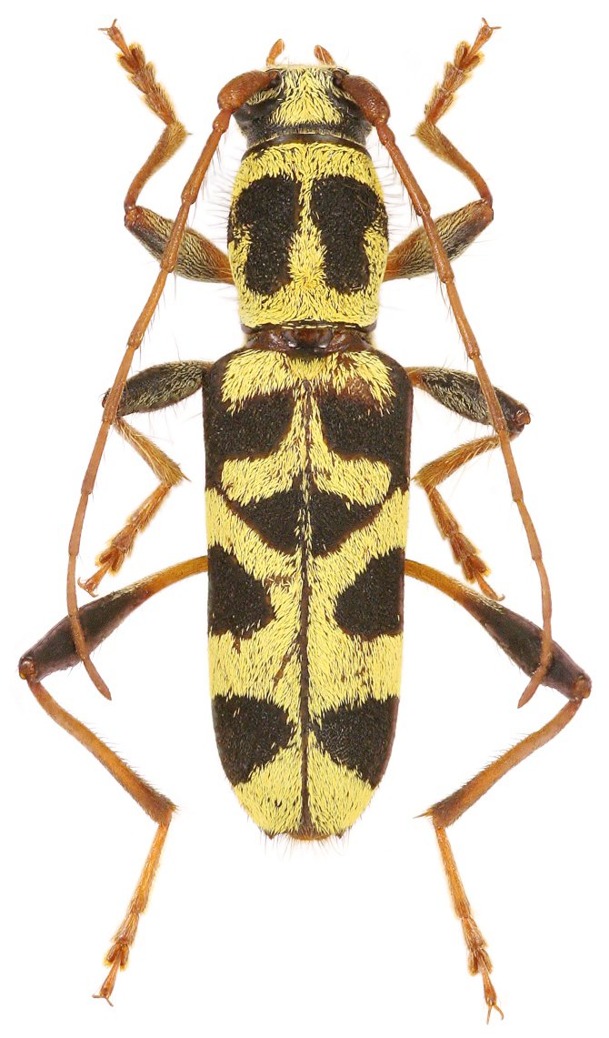
Tribe Clytini
Petraphuma cerevisia Viktora 2021

Specimen Type: holotype
Sex: f
Institution: Viktora Collection
Photographer: Petr Viktora
Collection Location: Nghe An Province, Vietnam
77112

130425