New Search Family, Subfamily and Tribe List

SubFamily Cerambycinae

Tribe Clytini
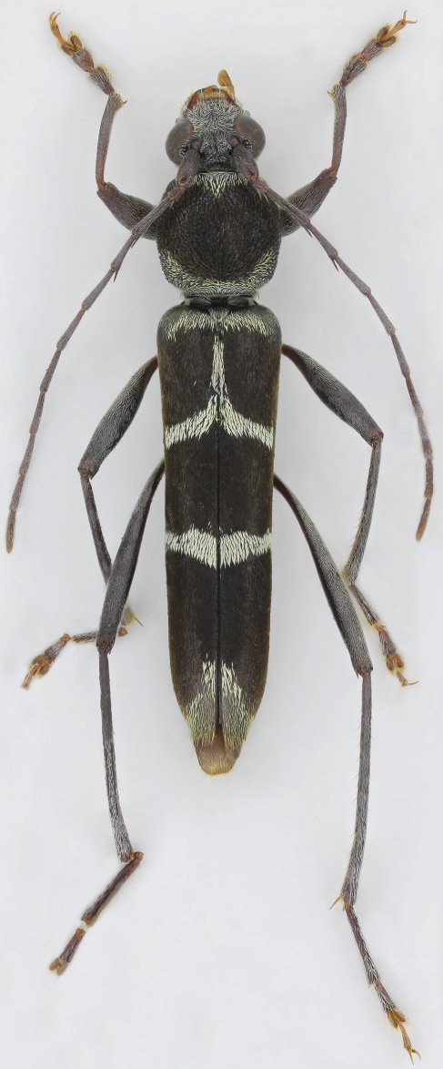
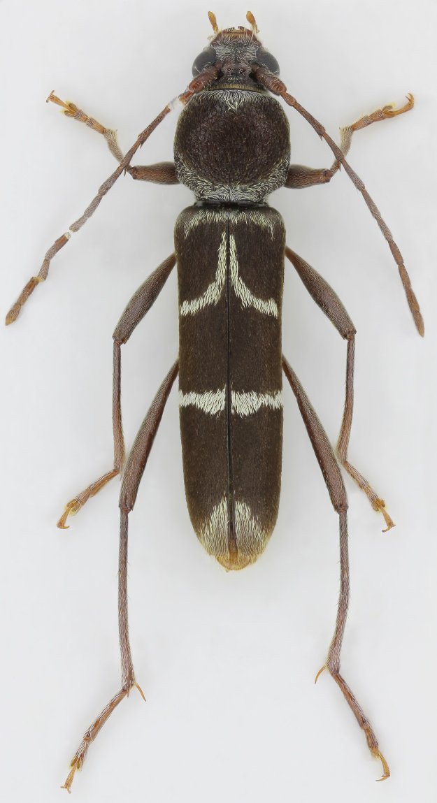
Demonax speculator Viktora 2021

Specimen Type: holotype
Sex: m
Institution: Viktora Collection
Photographer: Petr Viktora
Collection Location: Ringlet, Cameron Highlands, Pahang, Malaysia
77102


Specimen Type: paratype
Sex: f
Institution: Viktora Collection
Photographer: Petr Viktora
Collection Location: Ringlet, Cameron Highlands, Pahang, Malaysia
77103

130425