New Search Family, Subfamily and Tribe List

SubFamily Cerambycinae

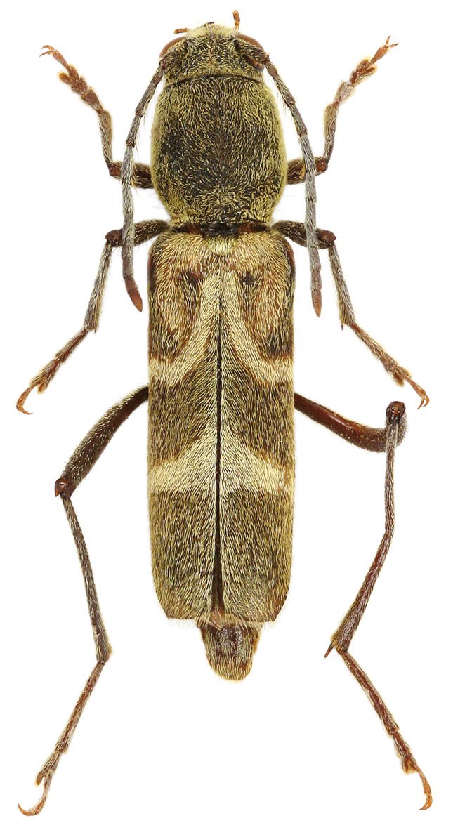
Tribe Clytini
Xylotrechus kucerai Viktora 2021

Specimen Type: holotype
Sex: m
Institution: Viktora Collection
Photographer: Petr Viktora
Collection Location: Lueyang, Shaanxi Province, China
76619

130425