New Search
Family, Subfamily and Tribe List
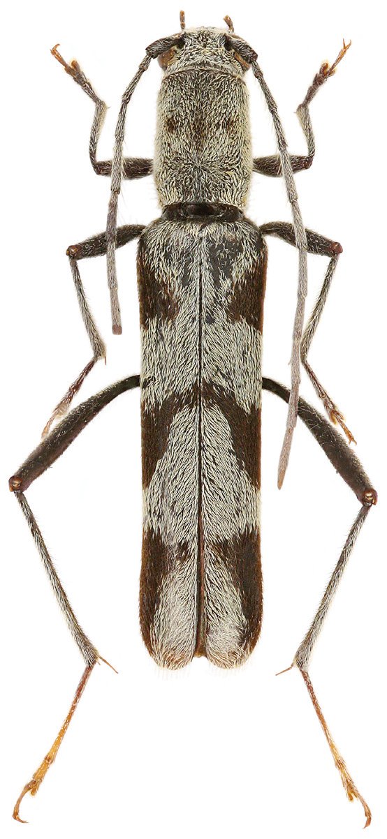
SubFamily
Cerambycinae
Tribe
Clytini
Xylotrechus hergovitsi
Viktora 2021
Specimen Type:
holotype
Sex:
m
Institution:
Viktora Collection
Photographer:
Petr Viktora
Collection Location:
Banjaran, Crocker Range, Sabah, Borneo
76615
130425