New Search
Family, Subfamily and Tribe List
SubFamily
Cerambycinae
Tribe
Clytini
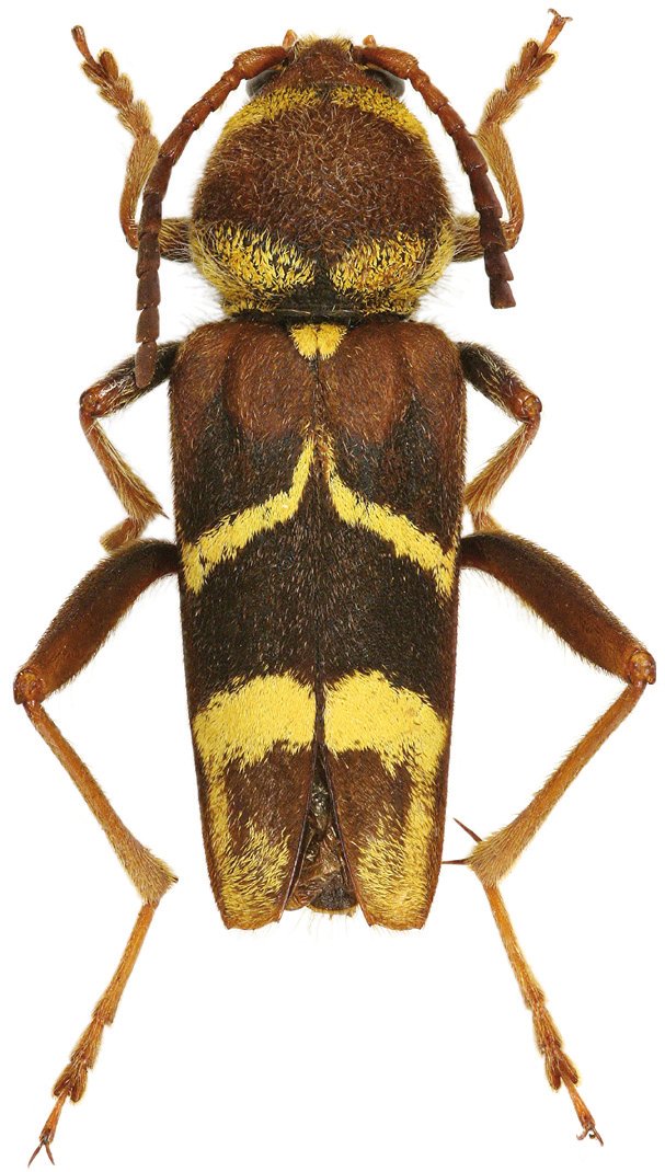
Xylotrechus haveli
Viktora 2021
Specimen Type:
holotype
Sex:
f
Institution:
Viktora Collection
Photographer:
Petr Viktora
Collection Location:
Lai Chau, Vietnam
76614
130425