 Viktora Coll Ha Giang, Vietnam.jpg)
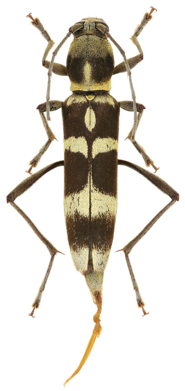
Specimen Type: holotype Sex: m Institution: Viktora Collection Photographer: Petr Viktora Collection Location: Ha Giang Province, Vietnam 76599
|
 Viktora Coll N Vietnam.jpg)
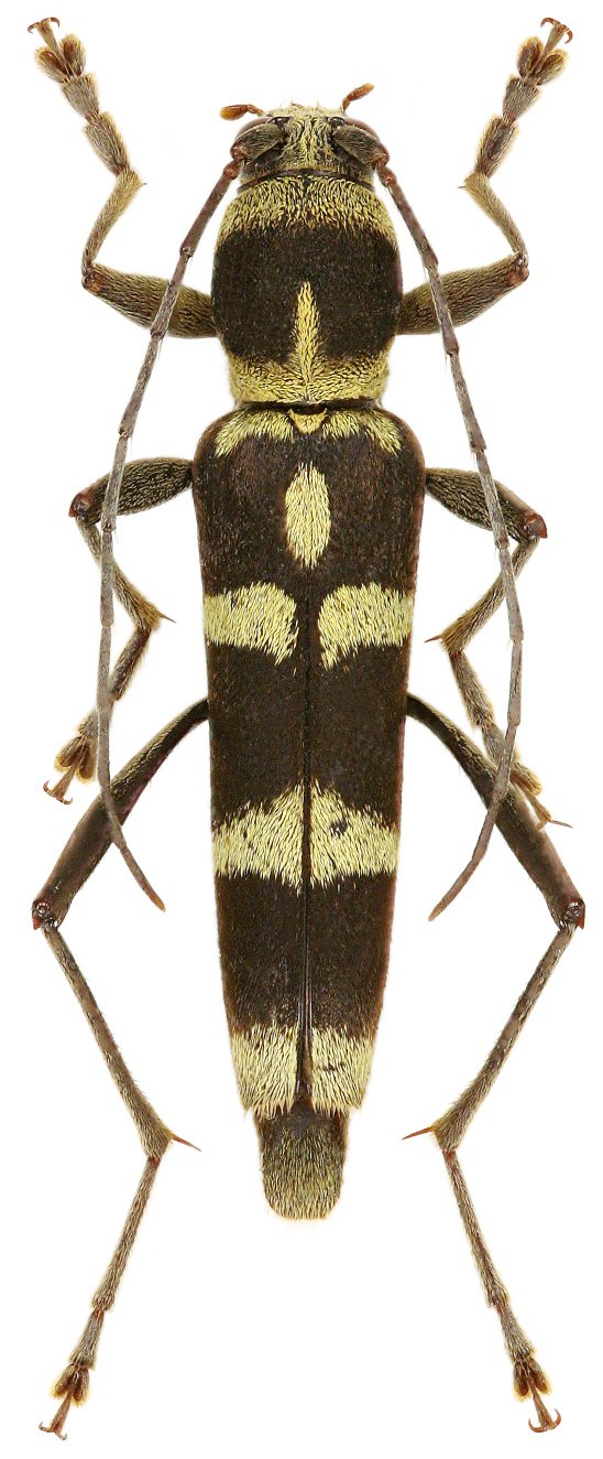
Specimen Type: paratype Sex: f Institution: Viktora Collection Photographer: Petr Viktora Collection Location: Ha Giang Province, Vietnam 76600
|