New Search Family, Subfamily and Tribe List

SubFamily Cerambycinae

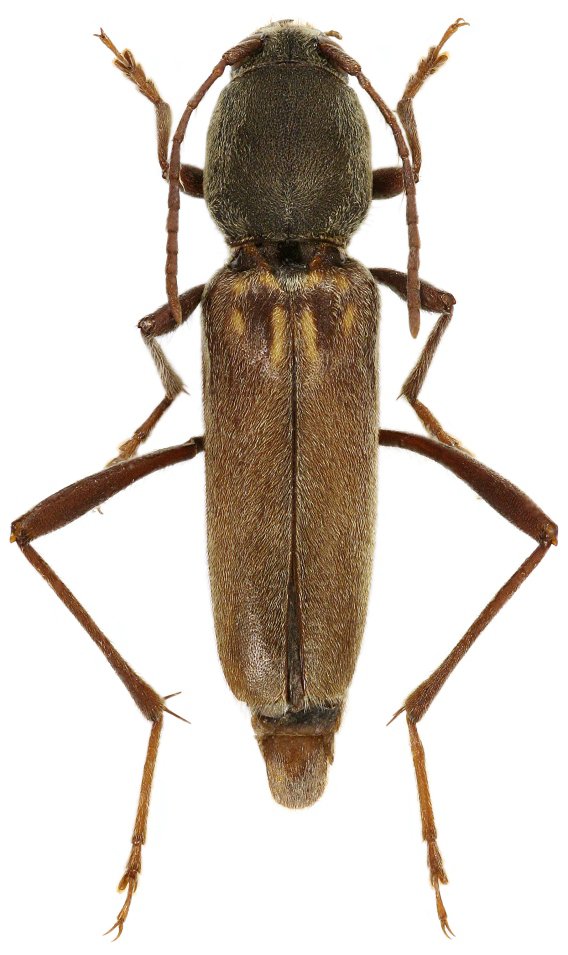
Tribe Clytini
Xylotrechus gratus Viktora 2020

Specimen Type: holotype
Sex: m
Institution: Viktora Collection
Photographer: Petr Viktora
Collection Location: Tcho-nin, vicinity of Jintang, Sichuan Province, China
75038

130425