New Search Family, Subfamily and Tribe List

SubFamily Cerambycinae

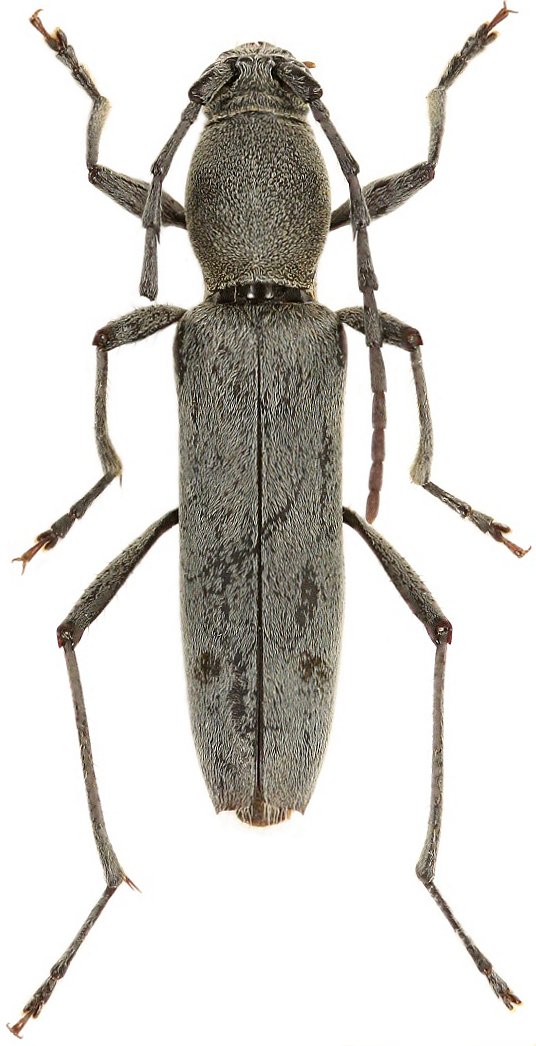
Tribe Clytini
Demonax inglorius Viktora 2020

Specimen Type: holotype
Sex: f
Institution: Viktora Collection
Photographer: Petr Viktora
Collection Location: Ngoc Linh Mountain, Kon Tum Province, Vietnam
75004

130425