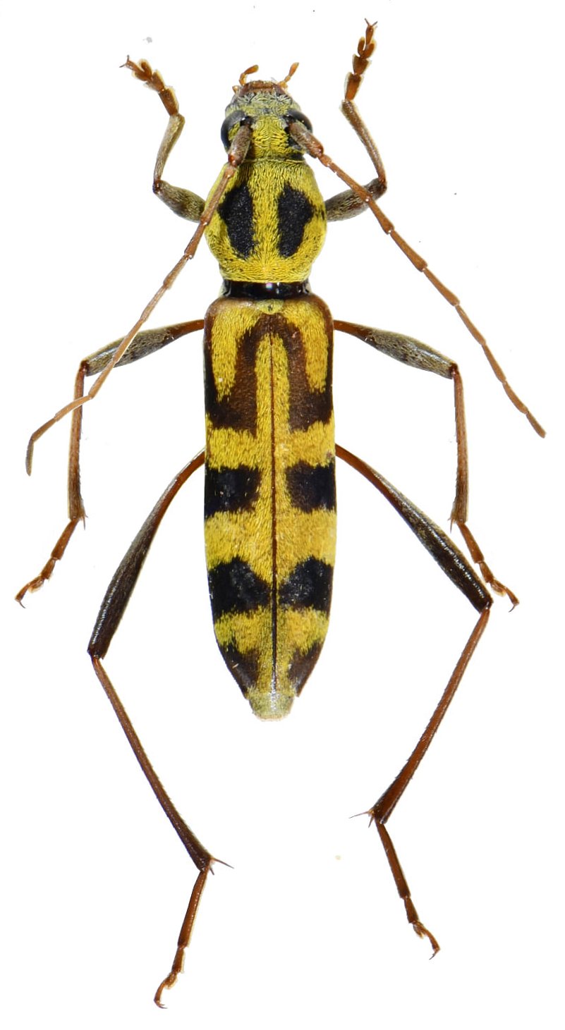
_Viktora_coll_Bao_Lam_Dambri_Lam_Dong_Prov_Vietnam.jpg)
Specimen Type: holotype Sex: m Institution: Viktora Collection Photographer: Petr Viktora Collection Location: Dambri, Bao Lam, Lam Dong Province, Vietnam 75034
|
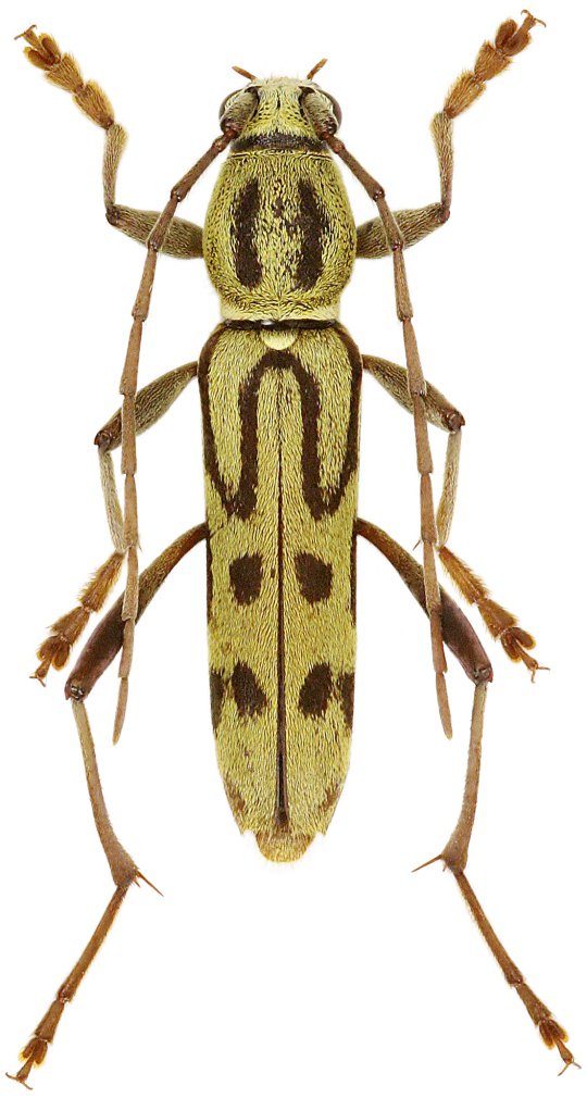
_Viktora_coll_25kmSE_Sen_Monorom_E_Cambodia.jpg)
Specimen Type: paratype Sex: f Institution: Viktora Collection Photographer: Petr Viktora Collection Location: 25 km SE Sen Monorom, Mondulkiri Province, Cambodia 75035
|