New Search
Family, Subfamily and Tribe List
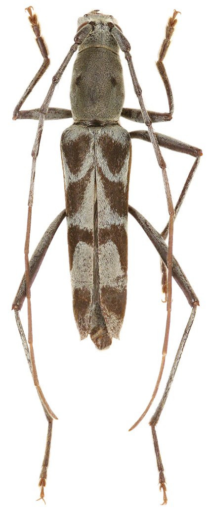
SubFamily
Cerambycinae
Tribe
Clytini
Demonax subditivus
Viktora 2020
Specimen Type:
holotype
Sex:
m
Institution:
Viktora Collection
Photographer:
Petr Viktora
Collection Location:
Mount Malambo, Davao City Province, Mindanao, Philippines
75016
130425