New Search Family, Subfamily and Tribe List

SubFamily Cerambycinae

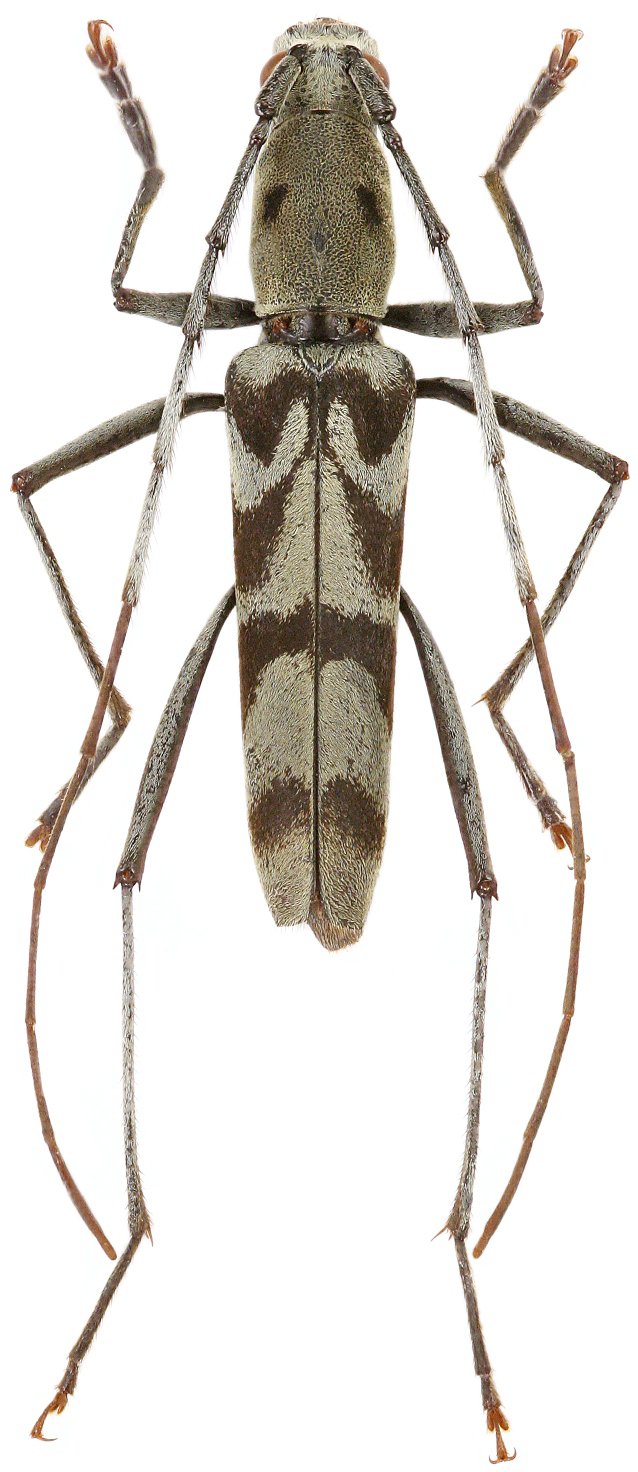
Tribe Clytini
Demonax patruus Viktora 2020

Specimen Type: holotype
Sex: m
Institution: Viktora Collection
Photographer: Petr Viktora
Collection Location: Puerto Galera, Mindoro, Philippines
75013

130425