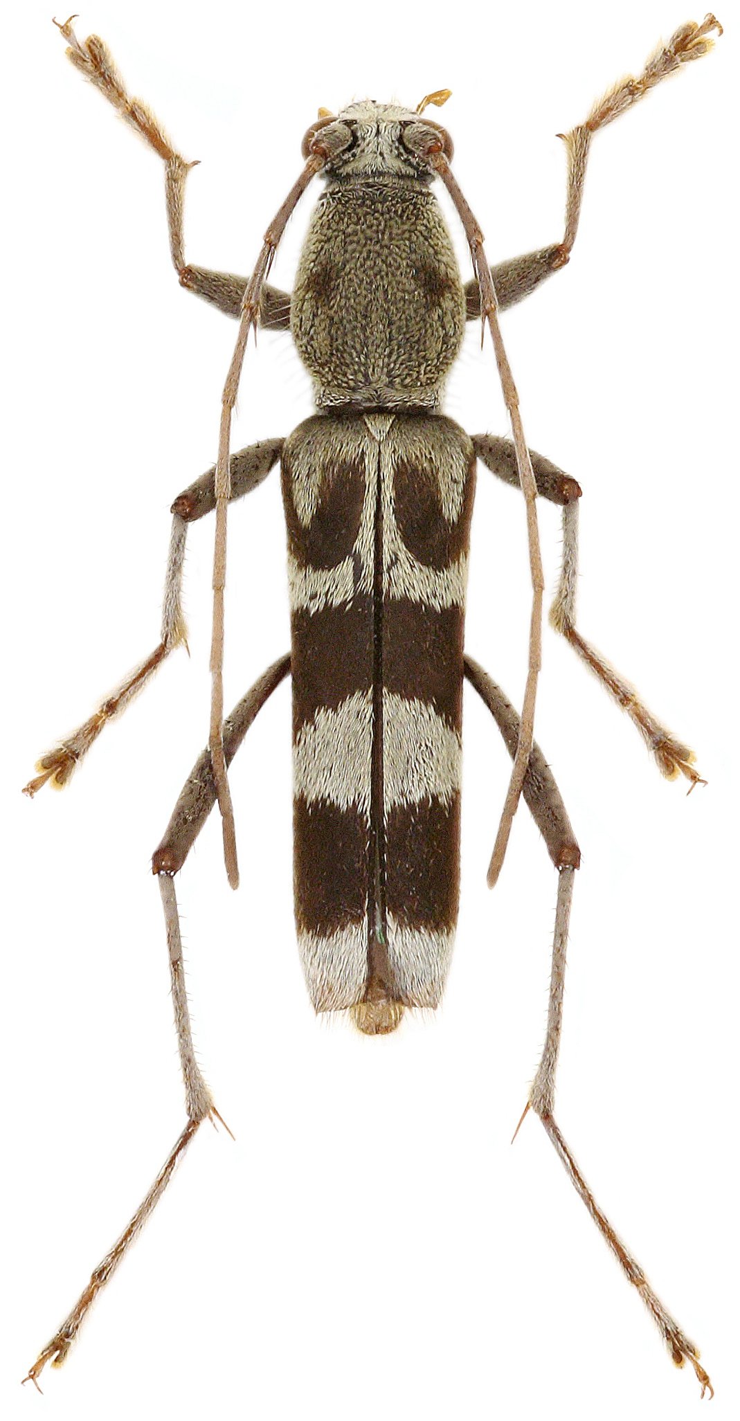
_Viktora_coll_Mt_Jianfengling_Jianfeng_Towns_Ledong_Li_Autonomous_Co_Hainan_China.jpg)
Specimen Type: holotype Sex: m Institution: Viktora Collection Photographer: Petr Viktora Collection Location: Mt Jianfengling, Ledong Li Autonomous County, Hainan, China 74995
|
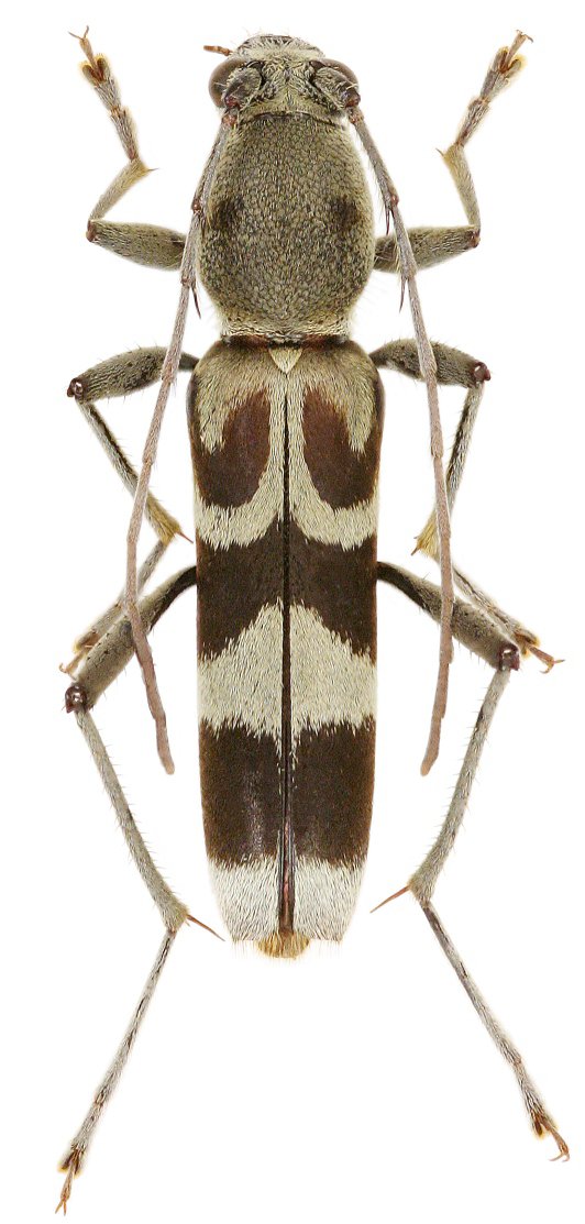
_Viktora_coll_Mt_Jianfengling_Jianfeng_Towns_Ledong_Li_Autonomous_Co_Hainan_China.jpg)
Specimen Type: paratype Sex: f Institution: Viktora Collection Photographer: Petr Viktora Collection Location: Mt Jianfengling, Ledong Li Autonomous County, Hainan, China 74996
|