New Search Family, Subfamily and Tribe List

SubFamily Cerambycinae

Tribe Clytini
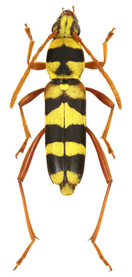
Xylotrechus regificus Viktora 2016

Specimen Type: holotype
Sex: f
Institution: Viktora Collection
Photographer: Petr Viktora
Collection Location: Guadalcanal, Solomon Islands
75042

130425