New Search Family, Subfamily and Tribe List

SubFamily Cerambycinae

Tribe Trachyderini Trachyderina
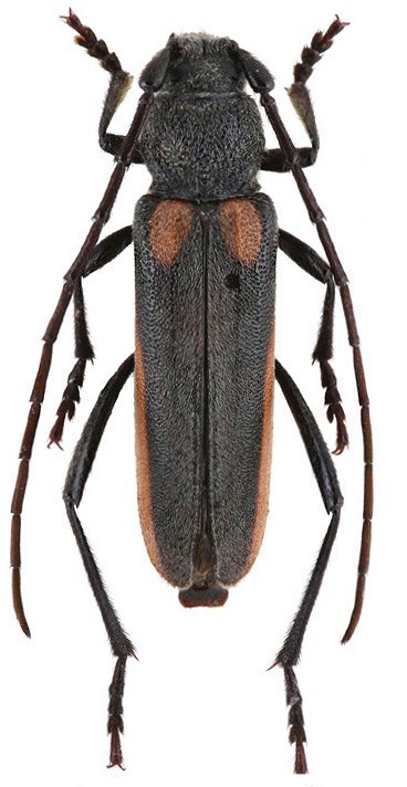
Anoplistes kaszabi Karpinski 2020

Specimen Type: holotype
Sex: f
Institution: HNHM Hungarian Natural History Museum, Budapest, Hungary
Photographer: Lech Karpinski
Collection Location: 20 km S Somon, Dundgovi Aimag, Mongolia
73275


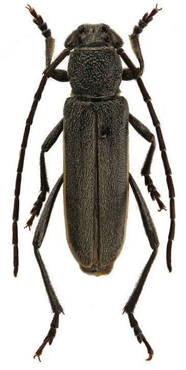
Specimen Type: paratype
Sex: m
Institution: HNHM Hungarian Natural History Museum, Budapest, Hungary
Photographer: Lech Karpinski
Collection Location: 20 km S Somon, Dundgovi Aimag, Mongolia
73276


Specimen Type: paratype
Sex: m
Institution: HNHM Hungarian Natural History Museum, Budapest, Hungary
Photographer: Lech Karpinski
Collection Location: 20 km S Somon, Dundgovi Aimag, Mongolia
73277


Specimen Type: paratype
Sex: m
Institution: HNHM Hungarian Natural History Museum, Budapest, Hungary
Photographer: Lech Karpinski
Collection Location: 20 km S Somon, Dundgovi Aimag, Mongolia
73278


Specimen Type: paratype
Sex: f
Institution: HNHM Hungarian Natural History Museum, Budapest, Hungary
Photographer: Lech Karpinski
Collection Location: Cagan Bogd Mountains, Mongolia
73279


Specimen Type: paratype
Sex: f
Institution: HNHM Hungarian Natural History Museum, Budapest, Hungary
Photographer: Lech Karpinski
Collection Location: Cagan Bogd Mountains, Mongolia
73280

130425