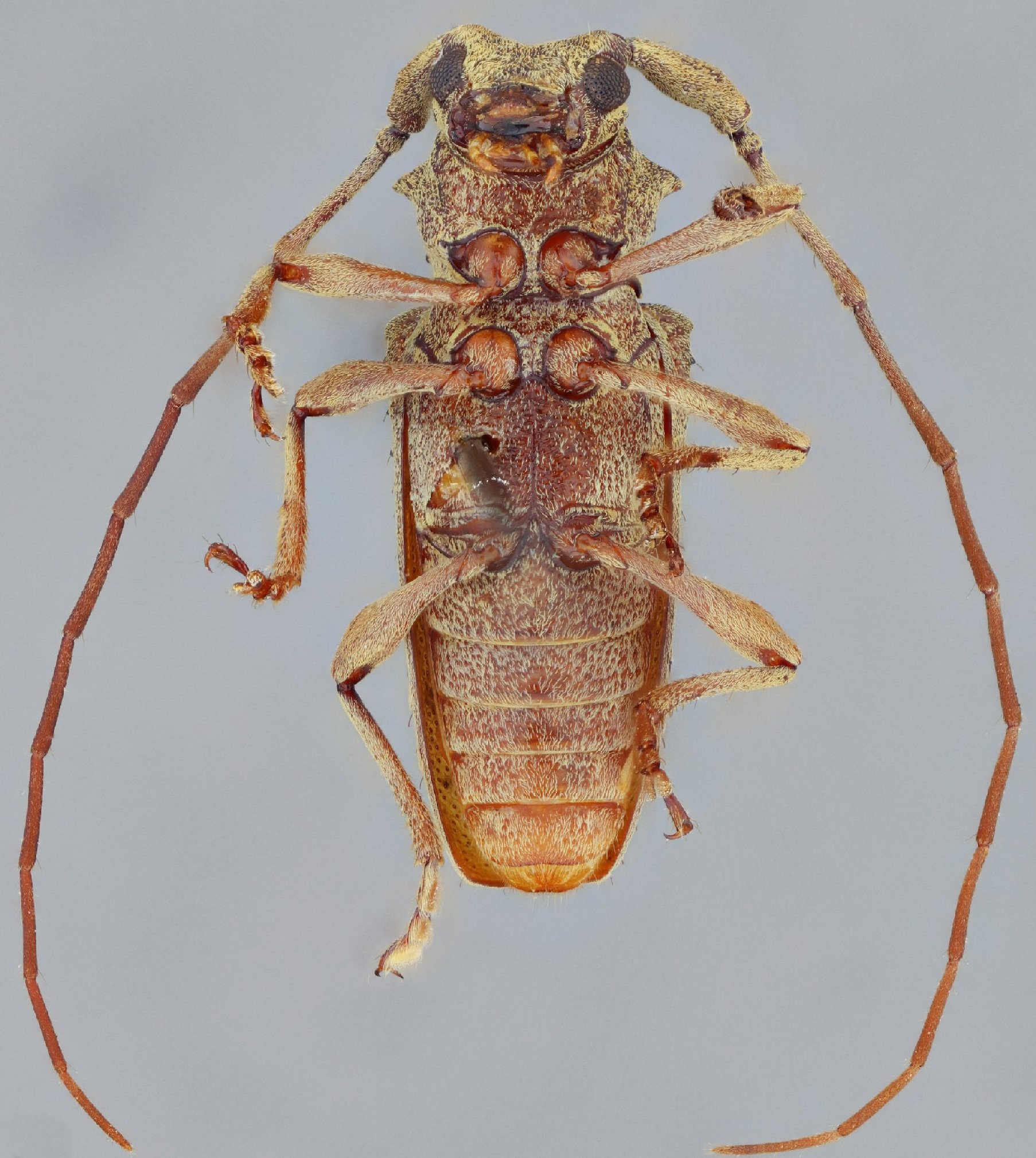
_Wappes_SS_TAMU_Nusagandi_area_IKUSA_Igar_trail_Panama_SS.jpg)
Specimen Type: holotype Sex: m Institution: TAMU Texas A & M University, College Station, Texas, USA Photographer: Antonio Santos-Silva Collection Location: Nusagandi area, IKUSA Igar trail, Panama, Panama 72047
|
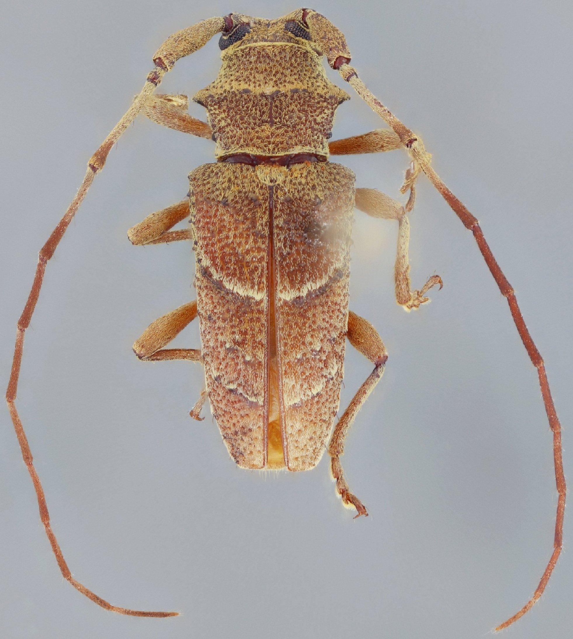
_Wappes_SS_TAMU_Nusagandi_area_IKUSA_Igar_trail_Panama_SS.jpg)
Specimen Type: holotype Sex: m Institution: TAMU Texas A & M University, College Station, Texas, USA Photographer: Antonio Santos-Silva Collection Location: Nusagandi area, IKUSA Igar trail, Panama, Panama 72048
|
_Wappes_SS_TAMU_Nusagandi_area_IKUSA_Igar_trail_Panama_SS.jpg)
Specimen Type: holotype Sex: m Institution: TAMU Texas A & M University, College Station, Texas, USA Photographer: Antonio Santos-Silva Collection Location: Nusagandi area, IKUSA Igar trail, Panama, Panama 72049
|
_Wappes_SS_TAMU_Nusagandi_area_IKUSA_Igar_trail_Panama_SS.jpg)
Specimen Type: holotype Sex: m Institution: TAMU Texas A & M University, College Station, Texas, USA Photographer: Antonio Santos-Silva Collection Location: Nusagandi area, IKUSA Igar trail, Panama, Panama 72050
|
|