_Viktora_Coll_Lin_Da_Lat_Lam_Dong_Province_Vietnam_Richard_Sehnal_pic.jpg)
Specimen Type: holotype Sex: f Institution: Viktora Collection Photographer: Richard Sehnal Collection Location: Da Lat, Lam Dong Province, Vietnam 71349
|
_Viktora_Coll_Lin_Da_Lat_Lam_Dong_Province_Vietnam_Richard_Sehnal_pic.jpg)
Specimen Type: holotype Sex: f Institution: Viktora Collection Photographer: Richard Sehnal Collection Location: Da Lat, Lam Dong Province, Vietnam 71350
|
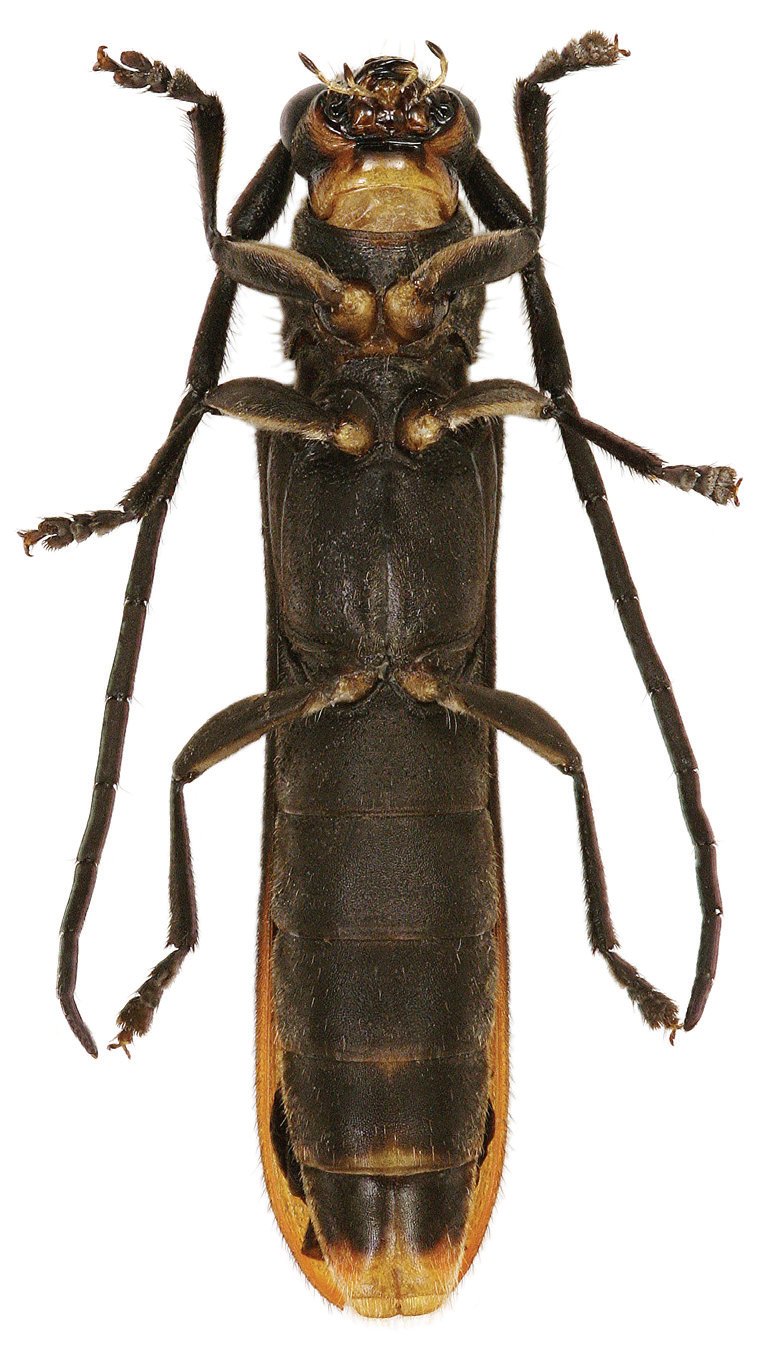
_Viktora_Coll_Lin_Da_Lat_Lam_Dong_Province_Vietnam_Richard_Sehnal_pic.jpg)
Specimen Type: holotype Sex: f Institution: Viktora Collection Photographer: Richard Sehnal Collection Location: Da Lat, Lam Dong Province, Vietnam 71351
|
|