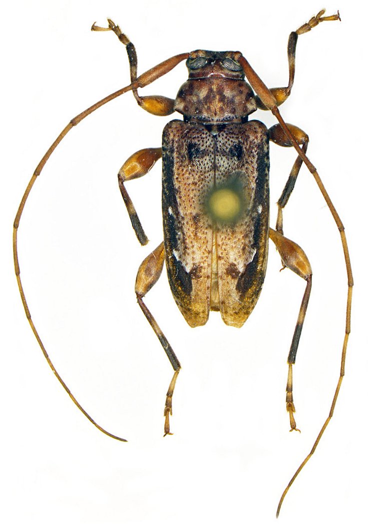
_Lingafelter_NMNH_Pico_Duarte_Trail_Los_Tablones_Dom_Republic.jpg)
Specimen Type: holotype Sex: m Institution: NMNH United States National Museum, Washington, DC, USA Photographer: Steve Lingafelter Collection Location: Pico Duarte Trail, Los Tablones, Dominican Republic 71043
|
_Lingafelter_NMNH_Pico_Duarte_Trail_below_La_Compartición_Dom_Republic.jpg)
Specimen Type: paratype Sex: f Institution: NMNH United States National Museum, Washington, DC, USA Photographer: Steve Lingafelter Collection Location: Pico Duarte Trail, Los Tablones, Dominican Republic 71044
|