 Weigel NME Jayawijaya-Province Irian Jaya.jpg)
Specimen Type: holotype Sex: m Institution: NKME Naturkundemuseum Erfurt, Germany Photographer: Andreas Weigel Collection Location: Jayawijaya-Province, Irian Jaya 75817
|
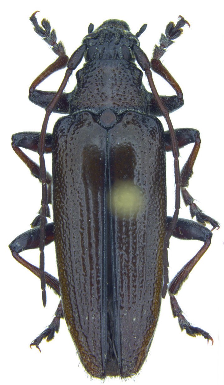
 Weigel Coll Jayawijaya-Province Irian Jaya.jpg)
Specimen Type: paratype Sex: f Institution: Weigel Collection Photographer: Andreas Weigel Collection Location: Jayawijaya-Province, Irian Jaya 75818
|