 Weigel NME Hake, Koroba, Tari, S Highland-Province Papua New Guinea.jpg)
Specimen Type: holotype Sex: f Institution: NKME Naturkundemuseum Erfurt, Germany Photographer: Andreas Weigel Collection Location: Hake, Koroba, Tari, S Highland-Province Papua New Guinea 75793
|
 Weigel NME Hake, Koroba, Tari, S Highland-Province Papua New Guinea.jpg)
Specimen Type: holotype Sex: f Institution: NKME Naturkundemuseum Erfurt, Germany Photographer: Andreas Weigel Collection Location: Hake, Koroba, Tari, S Highland-Province Papua New Guinea 75794
|
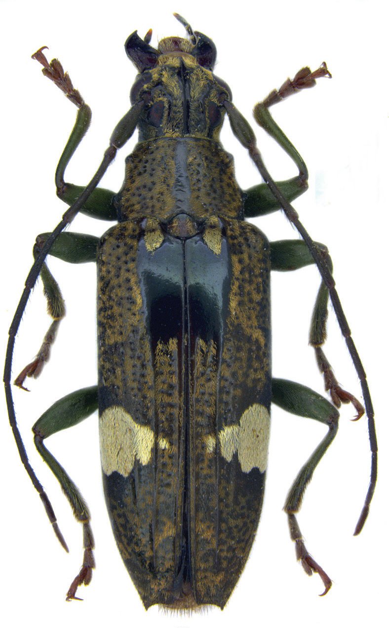
 Weigel NME Hake, Koroba, Tari, S Highland-Province Papua New Guinea.jpg)
Specimen Type: holotype Sex: f Institution: NKME Naturkundemuseum Erfurt, Germany Photographer: Andreas Weigel Collection Location: Hake, Koroba, Tari, S Highland-Province Papua New Guinea 75795
|
|