New Search Family, Subfamily and Tribe List

SubFamily Lamiinae

Tribe Saperdini
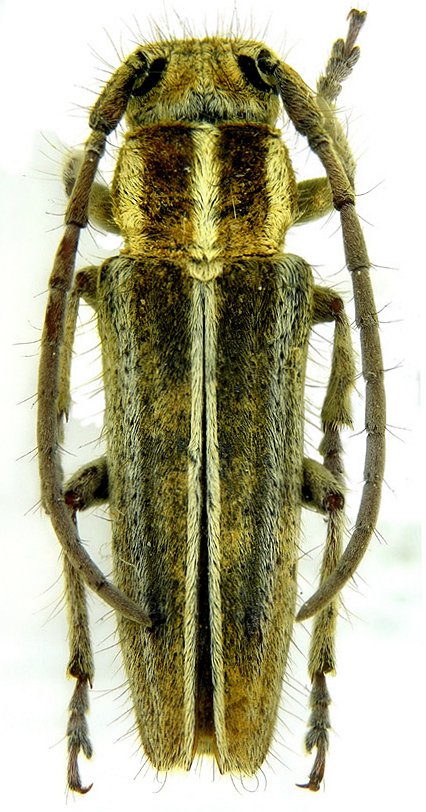
Phytoecia ghobarii Danilevsky 2018

Specimen Type: holotype
Sex: m
Institution: Danilevsky Collection
Photographer: Mikhail Danilevsky
Collection Location: Sanandaj-Saral, Kurdistan, Iran
71128

130425