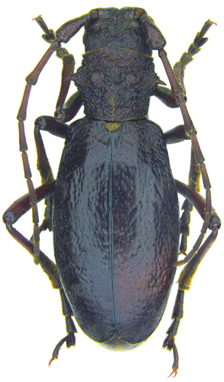
 Weigel NME Thare Oudar, Milke Danda, E Nepal.jpg)
Specimen Type: holotype Sex: m Institution: NKME Naturkundemuseum Erfurt, Germany Photographer: Andreas Weigel Collection Location: Thare Oudar, Milke Danda, E Nepal 75825
|
 Weigel coll Thare Oudar, Milke Danda, E Nepal.jpg)
Specimen Type: paratype Sex: f Institution: Weigel Collection Photographer: Andreas Weigel Collection Location: Thare Oudar, Milke Danda, E Nepal 75826
|