 Vives Weigel collection Mt Pia Oac, Cao Bang Province, Vietnam.jpg)
Specimen Type: paratype Sex: m Institution: Weigel Collection Photographer: Eduard Vives Collection Location: Mt Pia Oac, Cao Bang Province, Vietnam 89831
|
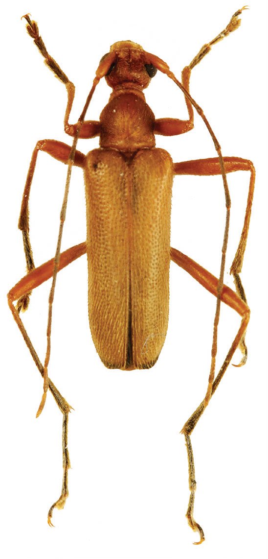
 Vives Weigel collection Mt Pia Oac, Cao Bang Province, Vietnam.jpg)
Specimen Type: paratype Sex: f Institution: Weigel Collection Photographer: Eduard Vives Collection Location: Mt Pia Oac, Cao Bang Province, Vietnam 89832
|