_Huang_Vives_Coll_Longting_Damingshan_Wuming_County_Guangxi_China.jpg)
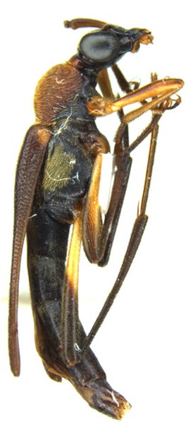
Specimen Type: holotype Sex: m Institution: Vives Collection Photographer: Jianhua Huang Collection Location: Longting, Damingshan, Wuming County, Guangxi Province, China 71483
|
_Huang_Vives_Coll_Longting_Damingshan_Wuming_County_Guangxi_China.jpg)
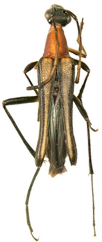
Specimen Type: paratype Sex: m Institution: Vives Collection Photographer: Jianhua Huang Collection Location: Longting, Damingshan, Wuming County, Guangxi Province, China 71484
|
_Huang_Vives_Coll_Longting_Damingshan_Wuming_County_Guangxi_China.jpg)
Specimen Type: paratype Sex: f Institution: Vives Collection Photographer: Jianhua Huang Collection Location: Longting, Damingshan, Wuming County, Guangxi Province, China 71485
|
_Huang_Vives_Coll_Longting_Damingshan_Wuming_County_Guangxi_China.jpg)
Specimen Type: paratype Sex: f Institution: Vives Collection Photographer: Jianhua Huang Collection Location: Longting, Damingshan, Wuming County, Guangxi Province, China 71486
|
|