New Search
Family, Subfamily and Tribe List
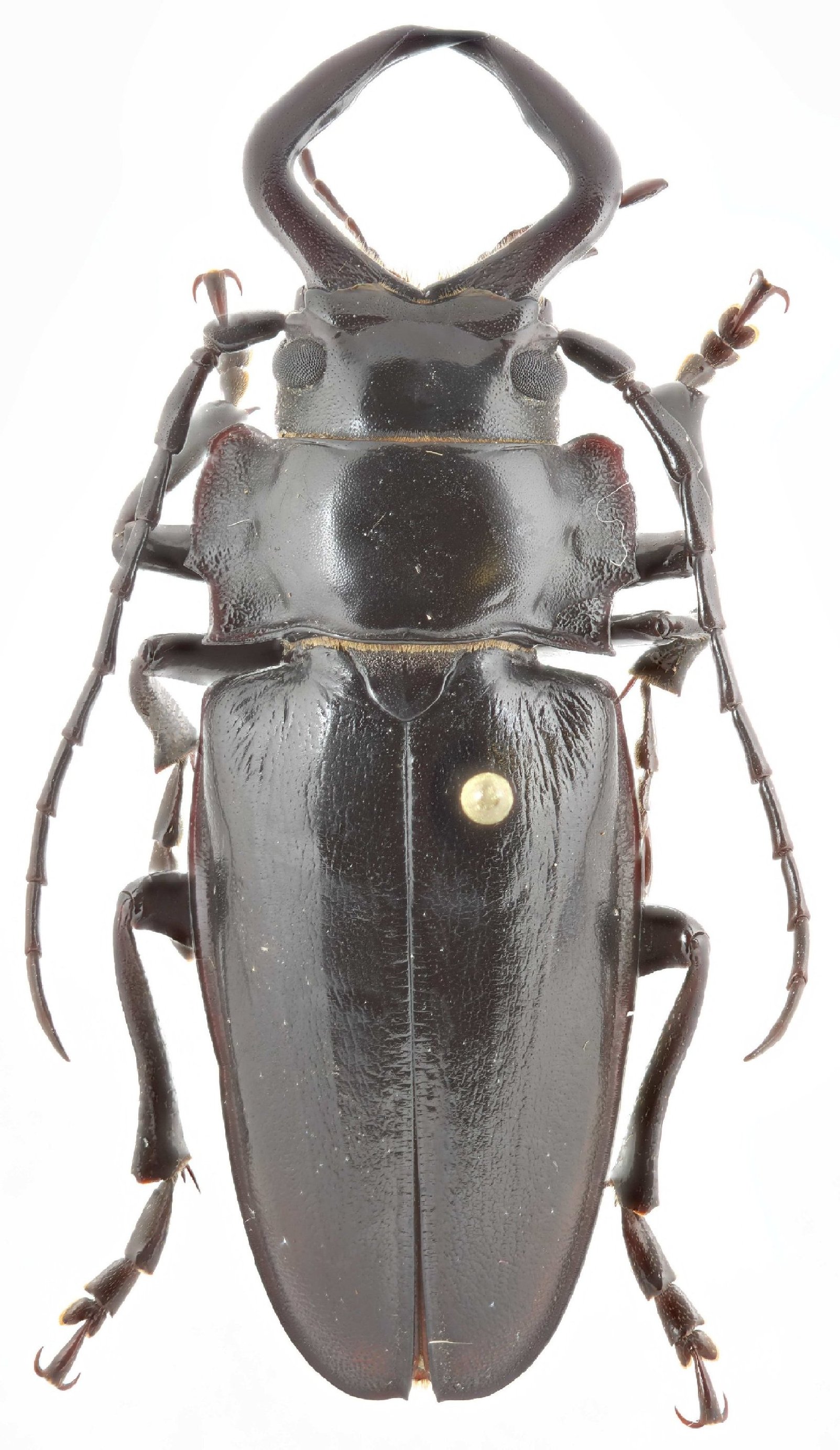
SubFamily
Prioninae
Tribe
Cacoscelini
Notophysis noellae
Bouyer 2016
Institution:
BMNH British Museum Natural History, London, UK
Photographer:
Keita Matsumoto
Collection Location:
Luu River, Angola
77028
130425