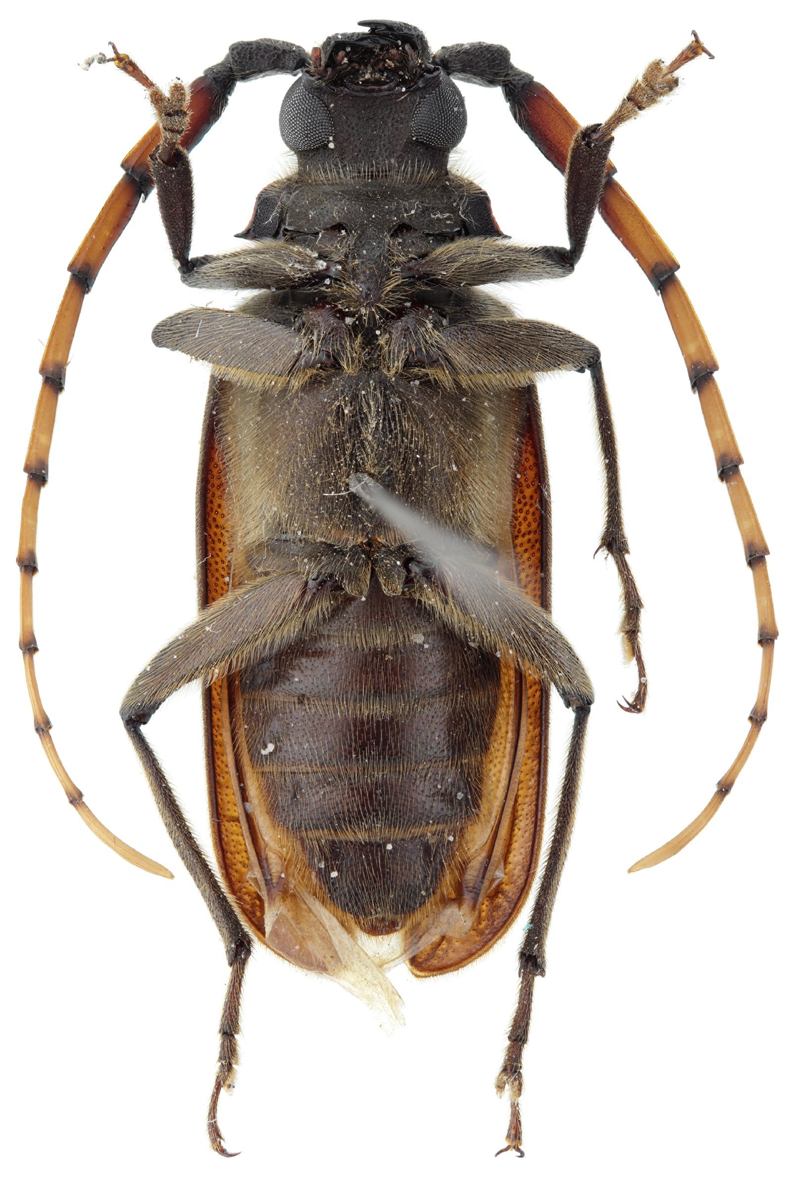
 Bi Drumont IRSNB Mt Tongbiguan, Yinjiang, Dehong, Yunnan, China Locatelli2.jpg)
Specimen Type: holotype©IRSNB Sex: m Institution: IRSNB Royal Belgian Institute of Natural Sciences, Brussels, Belgium Photographer: Camille Locatelli Collection Location: Mt Tongbiguan, Yinjiang, Dehong, Yunnan, China 78069
|
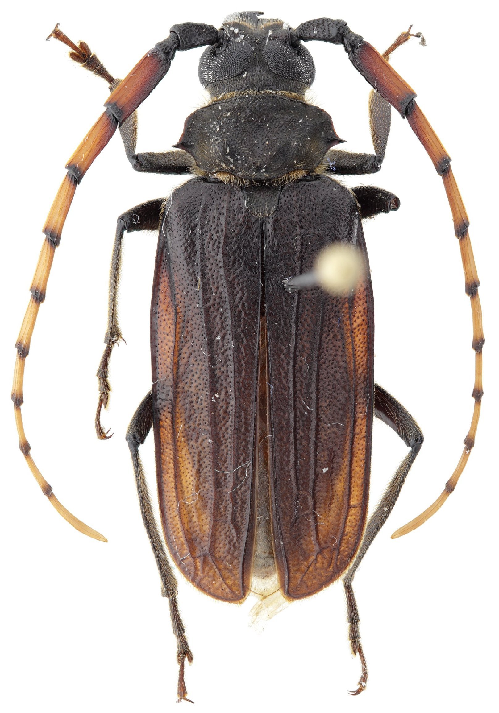
 Bi Drumont IRSNB Mt Tongbiguan, Yinjiang, Dehong, Yunnan, China Locatelli2.jpg)
Specimen Type: holotype©IRSNB Sex: m Institution: IRSNB Royal Belgian Institute of Natural Sciences, Brussels, Belgium Photographer: Camille Locatelli Collection Location: Mt Tongbiguan, Yinjiang, Dehong, Yunnan, China 78070
|
 Bi Drumont IRSNB Mt Tongbiguan, Yinjiang, Dehong, Yunnan, China Locatelli2.jpg)
Specimen Type: holotype©IRSNB Sex: m Institution: IRSNB Royal Belgian Institute of Natural Sciences, Brussels, Belgium Photographer: Camille Locatelli Collection Location: Mt Tongbiguan, Yinjiang, Dehong, Yunnan, China 78071
|
 Bi Drumont IRSNB Mt Tongbiguan, Yinjiang, Dehong, Yunnan, China Locatelli2.jpg)
Specimen Type: holotype©IRSNB Sex: m Institution: IRSNB Royal Belgian Institute of Natural Sciences, Brussels, Belgium Photographer: Camille Locatelli Collection Location: Mt Tongbiguan, Yinjiang, Dehong, Yunnan, China 78072
|
|