_Jacquot_AWC_Pusppenssat_Flaga_road_50kmS_Nabire_West_Papua_Indonesia_PJ.jpg)
Specimen Type: holotype Sex: m Institution: Andreas Weigel Collection Photographer: Philippe Jacquot Collection Location: Pusppenssat, Flaga road, 50 km S Nabire, West Papua New Guinea 71073
|
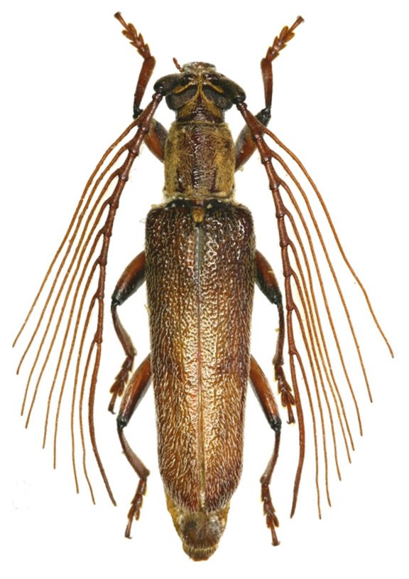
_Ritsema_LGB.jpg)
Specimen Type: paratype Sex: m Institution: LGBC Larry G. Bezark Collection, Sacramento, California, USA Photographer: Larry G. Bezark Collection Location: Ivimka Research Station, Lakekamu Basin, Papua New Guinea 32318
|