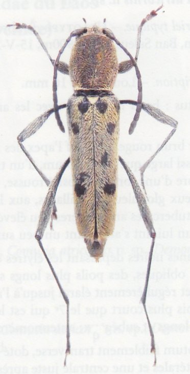
 Gouv coll Mt Phu Pan, Houa Phan Province, Laos.jpg)
Specimen Type: holotype Sex: f Institution: Gouverneur Collection Photographer: Xavier Gouverneur Collection Location: Mt Phu Pan, Houa Phan Province, Laos 79051
|
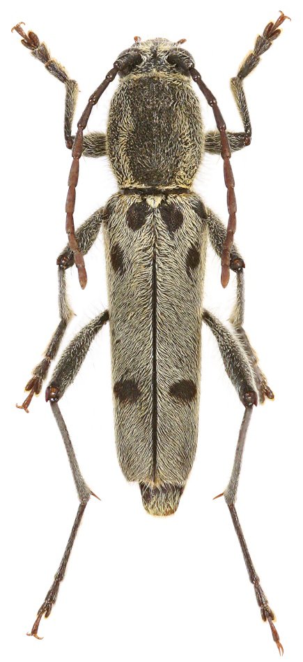
 Gouverneur Hua Phan, Laos Viktora coll.jpg)
Sex: m Institution: Viktora Collection Photographer: Petr Viktora Collection Location: Hua Phan, Laos 77135
|